| Συνδεθείτε στην Υπηρεσία Νομοσκόπιο | | | | | Νέοι χρήστες | | Εάν είστε νέος χρήστης, θα πρέπει να δημιουργήσετε ένα ΔΩΡΕΑΝ λογαριασμό προκειμένου να φύγει το παράθυρο αυτό και να αποκτήσετε πλήρη πρόσβαση στην υπηρεσία Νομοσκόπιο. | | Δημιουργία νέου λογαριασμού | | |
Απόφαση 15895/2016: Τροποποίηση και επέκταση του εγκεκριμένου ρυμοτομικού σχεδίου στην περιοχή Πεύκα Γιουρντά της Δημοτικής Κοινότητας Ανάβυσσου του Δήμου Σαρωνικού (νομού Αττικής), κατάργηση και επιβολή προκηπίου, (ΦΕΚ 65/ΑΑΠ/2016), 15-04-2016.
Ο Υπουργός και ο Αναπληρωτής Υπουργός Περιβάλλοντος και Ενέργειας Έχοντας υπόψη:
1. Τις διατάξεις των παραγράφων 5, 6 και 7 του άρθρου 8 του νόμου 4067/2012 Νέος Οικοδομικός Κανονισμός (Α' 79) όπως ισχύει.
2. Τις διατάξεις του άρθρου 154 του Κώδικα Βασικής Πολεοδομικής Νομοθεσίας που κυρώθηκε με το άρθρο μόνο του από 14-07-1999 προεδρικού διατάγματος (ΦΕΚ 580/Δ/1999).
3. Τις διατάξεις του άρθρου 90 του Κώδικα Νομοθεσίας για την Κυβέρνηση και τα κυβερνητικά όργανα, που κυρώθηκε με το άρθρο πρώτο του προεδρικού διατάγματος 63/2005 (ΦΕΚ 98/Α/2005).
4. Την υπ' αριθμόν Υ31/2015 απόφαση του Πρωθυπουργού Ανάθεση αρμοδιοτήτων στον Αναπληρωτή Υπουργό Περιβάλλοντος και Ενέργειας, Ιωάννη Τσιρώνη (ΦΕΚ 2183/Β/2015).
5. Τις 76/2002, 63/2005 γνωμοδοτήσεις του Κοινοτικού Συμβουλίου της κοινότητας Ανάβυσσου, την 153/2009 γνωμοδότηση του Δημοτικού Συμβουλίου Ανάβυσσου και την 26/2014 γνωμοδότηση του Δημοτικού Συμβουλίου του Δήμου Σαρωνικού.
6. Το υπ' αριθμόν 2456/2007 έγγραφο της Β' Εφορείας Προϊστορικών και Κλασσικών Αρχαιοτήτων.
7. Το υπ' αριθμόν 1434/2009 έγγραφο του Δασαρχείου Λαυρίου και το υπ' αριθμόν 2524/2007 έγγραφο της Διεύθυνσης Δασών Αν. Αττικής του Υπουργείου Αγροτικής Ανάπτυξης και Τροφίμων.
8. Το υπ' αριθμόν 13832/2007 έγγραφο της Διεύθυνσης Οικοδομικών και Κτιριοδομικών Κανονισμών του Υπουργείου Περιβάλλοντος, Χωροταξίας και Δημοσίων Έργων Έγκριση μελέτης γεωλογικής καταλληλότητας έκτασης ιδιοκτησίας Ιωάννη Χόρτη στον Δήμο Ανάβυσσου, θέση Πεύκα Γιουρντά για την επέκταση πολεοδομικού σχεδίου.
9. Τις 350/2014, 92/2008 γνωμοδοτήσεις του Κεντρικού Συμβουλίου Χωροταξίας, Οικισμού και Περιβάλλοντος και την 26/2015 γνωμοδότηση του Κεντρικού Συμβουλίου Πολεοδομικών Θεμάτων και Αμφισβητήσεων.
10. Το γεγονός ότι από τις κανονιστικές διατάξεις της παρούσας δεν προκαλείται δαπάνη σε βάρος του κρατικού προϋπολογισμού και του προϋπολογισμού του οικείου οργανισμού τοπικής αυτοδιοίκησης, αποφασίζουμε:
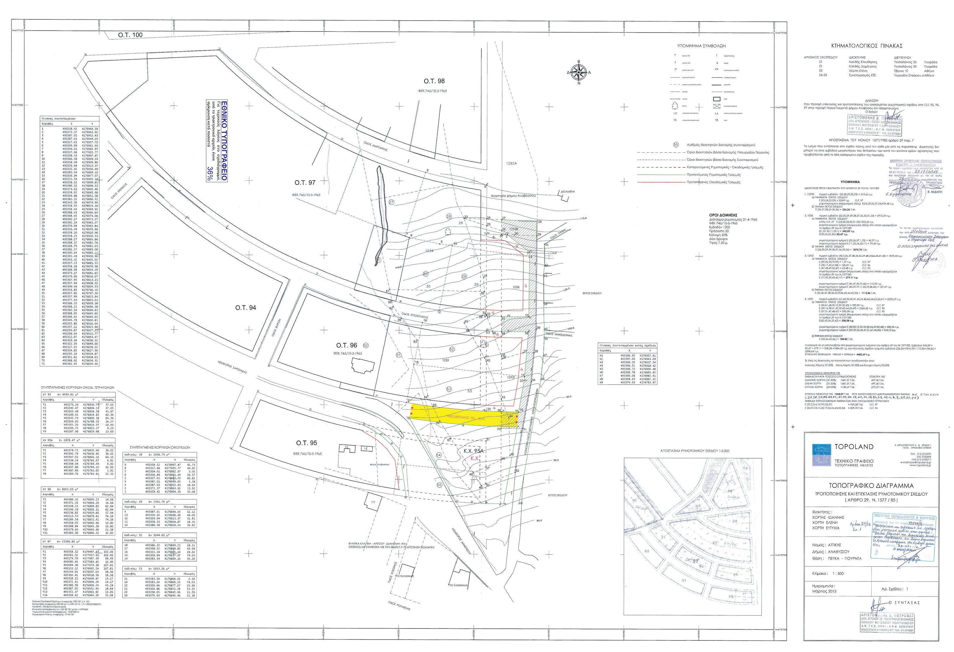
1. Εγκρίνεται η τροποποίηση και η σημειακή επέκταση στα οικοδομικά τετράγωνα 95, 96 και 97 του εγκεκριμένου ρυμοτομικού σχεδίου στην περιοχή Πεύκα Γιουρντά της Δημοτικής Κοινότητας Ανάβυσσου του Δήμου Σαρωνικού (νομού Αττικής), και ειδικότερα:
α) η επέκταση του σχεδίου με τη μετατόπιση οριακής οδού και
β) η τροποποίηση με την έγκριση οδού, το χαρακτηρισμό τμήματος οδού ως πεζοδρόμου, και το καθορισμό κοινοχρήστου χώρου (οικοδομικό τετράγωνο 95Α), όπως οι ρυθμίσεις αυτές φαίνονται στο σχετικό πρωτότυπο διάγραμμα σε κλίμακα 1:500, που θεωρήθηκε από τον Προϊστάμενο της Διεύθυνσης Τοπογραφικών Εφαρμογών και Γεωχωρικών Πληροφοριών με την υπ' αριθμόν 15895/2016 πράξη του, αντίτυπο του οποίου σε φωτοσμίκρυνση συνδημοσιεύεται με την παρούσα απόφαση.
2. Καταργείται το προβλεπόμενο από το εγκεκριμένο ρυμοτομικό σχέδιο προκήπιο στην περιοχή της οποίας το σχέδιο τροποποιείται και επεκτείνεται σύμφωνα με τη προηγούμενη παράγραφο και επιβάλλεται νέο πλάτους 4 m, όπως φαίνεται στο διάγραμμα της παραγράφου 1 της παρούσας.
3. Στην ως άνω περιοχή εφαρμόζονται οι όροι και περιορισμοί δόμησης που έχουν καθορισθεί για την όμορη περιοχή με το από 21-04-1965 προεδρικό διάταγμα (ΦΕΚ 74/Δ/1965) και ειδικότερα:
α. Εμβαδόν: 1.200 m2
β. Πρόσωπο: 20 m.
γ. Ποσοστό κάλυψης των οικοπέδων: 20% της επιφάνειάς τους.
δ. Αριθμός ορόφων: 2
ε. Μέγιστο επιτρεπόμενο ύψος κτιρίων: 7.5 m.
4. Επιβάλλεται εισφορά σε γη συνολικής επιφάνειας 1.268,07 m2, όπως φαίνεται με μαύρη διαγράμμιση και τα στοιχεία 27, 28, 29, 39, 38, 34, 71, 70, 56, 19, 22, 14, 18, 54, 53, 10, 4, 3, 2, 57, 26, 27 στο διάγραμμα της παραγράφου 1 και επιμερίζεται ανάλογα με το ποσοστό συνιδιοκτησίας των υπόχρεων σε αυτήν, ως ακολούθως:
Ιωάννης Χόρτης (37,50 %): 497,40 m2
Ελένη Χόρτη (37,50 %): 497,40 m2
Ευτυχία Χόρτη (25,00 %): 273,27 m2
5. Η ισχύς της παρούσας απόφασης αρχίζει από τη δημοσίευσή της στην Εφημερίδα της Κυβερνήσεως.

Η απόφαση αυτή να δημοσιευθεί στην Εφημερίδα της Κυβερνήσεως.
Αθήνα, 28-03-2016
Ο Υπουργός
Ο Αναπληρωτής Υπουργός