-1) {
var s = source.indexOf("", e);
scripts.push(source.substring(s_e+1, e));
source = source.substring(0, s) + source.substring(e_e+1);
}
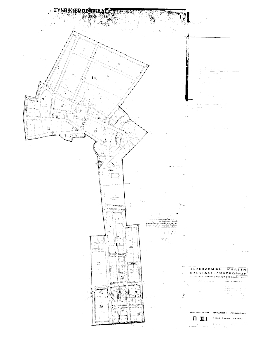
for(var i=0; i Εγκρίνεται η αναθεώρηση του πολεοδομικού σχεδίου οικισμού Tριαδίου, Δήμου Θέρμης, Νομού Θεσσαλονίκης με τον καθορισμό οικοδομήσιμων χώρων, κοινοχρήστων χώρων, οδών, πεζοδρόμων, χώρων κοινοχρήστου πρασίνου, όπως οι παραπάνω ρυθμίσεις φαίνονται στο συνημμένο στην παρούσα απόφαση και θεωρημένο από τον Διευθυντή της Διεύθυνσης Πολεοδομίας νομού Θεσσαλονίκης σχετικό χρωματισμένο πρωτότυπο διάγραμμα σε κλίμακα 1:1.000, αντίγραφο του οποίου δημοσιεύεται μαζί με την παρούσα απόφαση. ";
if(window.XMLHttpRequest){
try{xmlhttp = new XMLHttpRequest();}catch(e){
xmlhttp = false;}}
else if(window.ActiveXObject){
try{xmlhttp=new ActiveXObject("Msxml2.XMLHTTP");}catch(e){
try{xmlhttp=new ActiveXObject("Microsoft.XMLHTTP");}catch(e){
xmlhttp = false;}}}
if (xmlhttp) {
xmlhttp.onreadystatechange=function(){
if(xmlhttp.readyState==4){
if(xmlhttp.status==200){
var mystr=xmlhttp.responseText;
var mspanner=document.getElementById(target);
mspanner.innerHTML="";
var newdiv = document.createElement('div');
newdiv.innerHTML = parseScript(mystr);
mspanner.appendChild(newdiv);
}}}
}
var myurl=url;
if (params.length!=0) {
myurl=myurl+"?"+params;
}
xmlhttp.open("POST",myurl,true);
xmlhttp.send(null);
}

Συνδεθείτε στην Υπηρεσία Νομοσκόπιο
Νέοι χρήστες Εάν είστε νέος χρήστης, θα πρέπει να δημιουργήσετε ένα ΔΩΡΕΑΝ λογαριασμό προκειμένου να φύγει το παράθυρο αυτό και να αποκτήσετε πλήρη πρόσβαση στην υπηρεσία Νομοσκόπιο. Δημιουργία νέου λογαριασμού 