| Συνδεθείτε στην Υπηρεσία Νομοσκόπιο | | | | | Νέοι χρήστες | | Εάν είστε νέος χρήστης, θα πρέπει να δημιουργήσετε ένα ΔΩΡΕΑΝ λογαριασμό προκειμένου να φύγει το παράθυρο αυτό και να αποκτήσετε πλήρη πρόσβαση στην υπηρεσία Νομοσκόπιο. | | Δημιουργία νέου λογαριασμού | | |
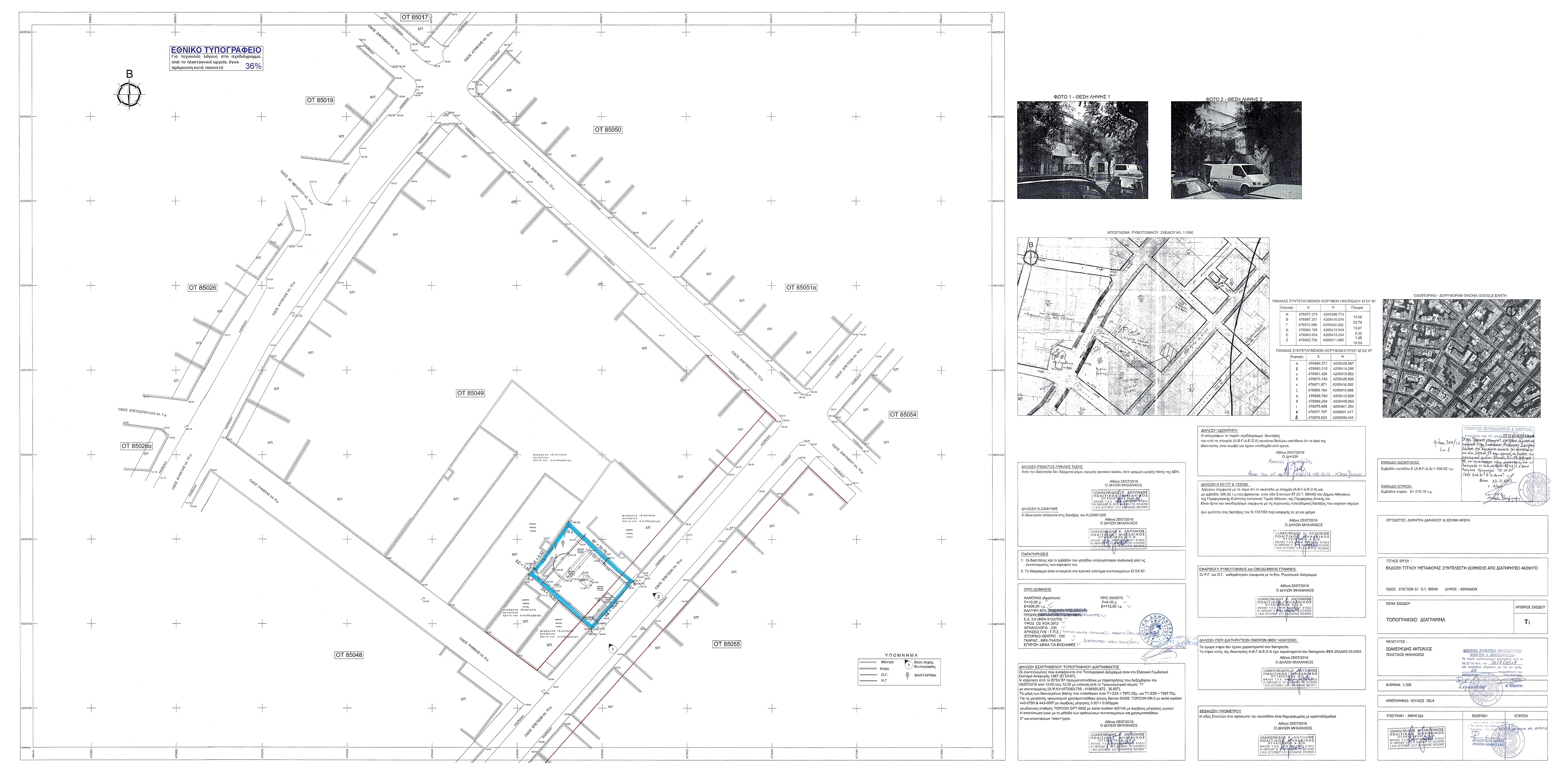
1. Εγκρίνεται η μεταφορά συντελεστή δόμησης από βαρυνόμενο ακίνητο που βρίσκεται επί της οδού Σπετσών 57 στην περιοχή της Κυψέλης του ρυμοτομικού σχεδίου Αθηνών, οικοδομικό τετράγωνο 49 - περιοχής 85 και στο οποίο υπάρχει κτίριο που χαρακτηρίστηκε ως διατηρητέο με την υπ' αριθμόν 9632/2004 απόφαση Υφυπουργού Περιβάλλοντος, Χωροταξίας και Δημοσίων Έργων (ΦΕΚ 204/Δ/2004), όπως το βαρυνόμενο αυτό ακίνητο φαίνεται στο πρωτότυπο τοπογραφικό διάγραμμα σε κλίμακα 1:200 που θεωρήθηκε από τον Προϊστάμενο Διεύθυνσης Τοπογραφικών Εφαρμογών και Γεωχωρικών Πληροφοριών με την υπ' αριθμόν 28724/2767/2017 πράξη του και του οποίου αντίτυπο σε φωτοσμίκρυνση δημοσιεύεται με την παρούσα απόφαση.
2. Τα ειδικότερα στοιχεία του βαρυνόμενου ακινήτου και της μεταφοράς συντελεστή δόμησης είναι:
α. Οδός Σπετσών 57, οικοδομικό τετράγωνο 49 - περιοχής 85, Κυψέλη, Δήμου Αθηναίων.
β. Εμβαδόν οικοπέδου: 306,02 m2.
γ. Οι όροι δόμησης της περιοχής που βρίσκεται το βαρυνόμενο ακίνητο σύμφωνα με το από 02-09-2016 θεωρημένο τοπογραφικό διάγραμμα από την Υπηρεσία Δόμησης Δήμου Αθηναίων είναι:
Ι. Ισχύων συντελεστής δόμησης: 3.6.
ΙΙ. Ποσοστό επιτρεπόμενης κάλυψης: 60% (183,61 m2).
δ. Συνολικά καλυπτόμενη επιφάνεια (υφιστάμενη κάλυψη) : 229,28 m2.
ε. Σύνολο δομημένων επιφανειών (υφιστάμενη δόμηση) : 484,07 m2.
στ. Οι προς μεταφορά επιφάνειες είναι 617,60 m2 από ορόφους. Η επιφάνεια αυτή αντιστοιχεί σε συντελεστή δόμησης 2,018 που αφαιρείται οριστικώς από το βαρυνόμενο ακίνητο.
