| Συνδεθείτε στην Υπηρεσία Νομοσκόπιο | | | | | Νέοι χρήστες | | Εάν είστε νέος χρήστης, θα πρέπει να δημιουργήσετε ένα ΔΩΡΕΑΝ λογαριασμό προκειμένου να φύγει το παράθυρο αυτό και να αποκτήσετε πλήρη πρόσβαση στην υπηρεσία Νομοσκόπιο. | | Δημιουργία νέου λογαριασμού | | |
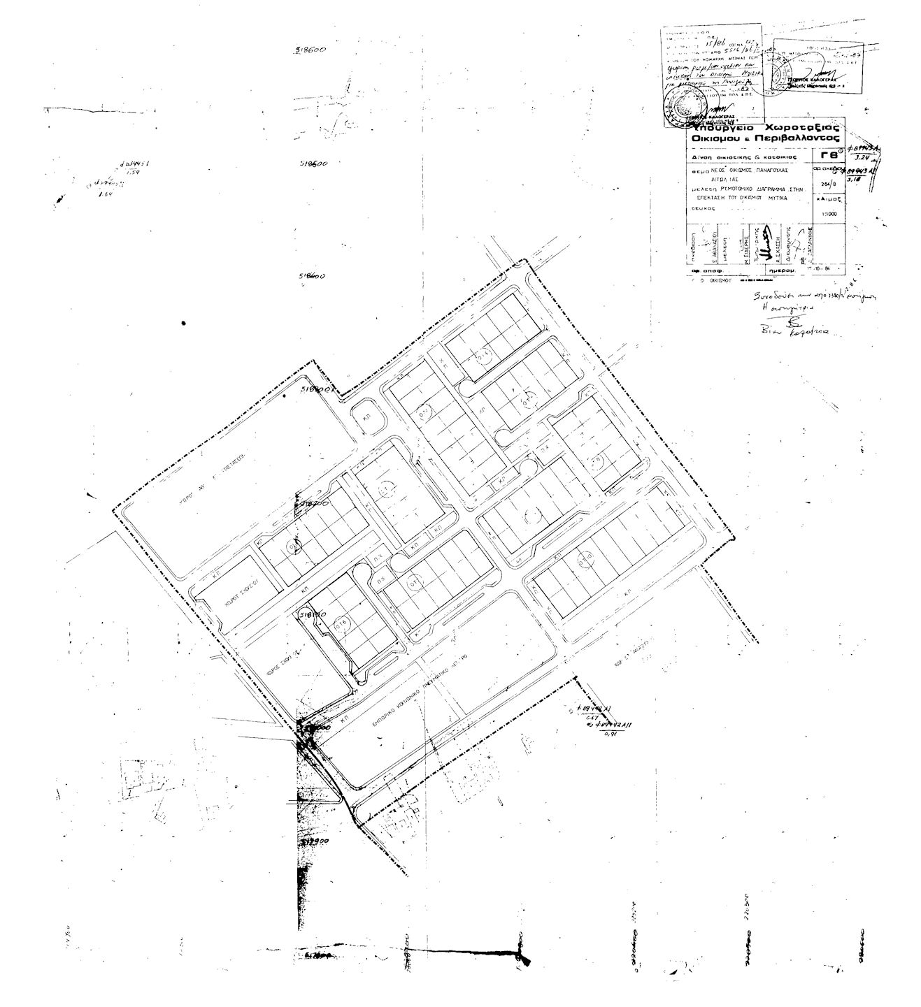
Απόφαση 5516/1987: Έγκριση τοπικού ρυμοτομικού σχεδίου στην επέκταση του οικισμού Μύτικα νομού Αιτωλοακαρνανίας για τη μεταφορά του οικισμού Παναγούλας, νομού Αιτωλοακαρνανίας, (ΦΕΚ 756/Δ/1987), 13-08-1987.
Ο Νομάρχης Αιτωλίας και Ακαρνανίας
Έχοντας υπόψη:
1. Τις διατάξεις του νόμου 3200/1955 περί διοικητικής αποκεντρώσεως.
2. Τις διατάξεις του από [ΒΔ] 20-06-1955 βασιλικού διατάγματος περί εξαιρέσεως από της κατά την παράγραφο 1 του νόμου 3200/1955 αρμοδιότητος του Υπουργείου Δημοσίων Έργων.
3. Τις διατάξεις του βασιλικού διατάγματος [ΒΔ] 863/1970 περί διαρθρώσεως του Υπουργείου Συγκοινωνιών και Δημοσίων Έργων, όπως τούτο τροποποιήθηκε δια του βασιλικού διατάγματος [ΒΔ] 572/1967.
4. Τις διατάξεις του νομοθετικού διατάγματος 532/1970 περί διοικητικής αποκεντρώσεως.
5. Τις διατάξεις του βασιλικού διατάγματος [ΒΔ] 712/1970 όπως τροποποιήθηκε και συμπληρώθηκε με τα βασιλικά διατάγματα [ΒΔ] 677/1971 και [ΒΔ] 198/1972.
6. Την Λ.7/16/11/1970 κοινή απόφαση των Υπουργών περί οργανώσεως των περιφερειακών Υπηρεσιών του Υπουργείου Δημοσίων Έργων.
7. Την Λ.9/1-8/1971 κοινή εγκύκλιο των Πρωθυπουργού, Αντιπροέδρου και Υπουργού των Εσωτερικών περί οργανώσεως των Νομαρχιών.
8. Την 24712/1248/1982 κοινή απόφαση Υπουργών Προεδρίας Κυβερνήσεως και Χωροταξίας, Οικισμού και Περιβάλλοντος.
9. Το προεδρικό διάταγμα 183/1986 περί έγκρισης τροποποιήσεων και καθορισμό όρων και περιορισμών δόμησης από τους Νομάρχες.
10. Τη θετική εισήγηση του Τμήματος Πολεοδομίας και καθώς και του Κεντρικού Συμβουλίου Χωροταξίας, Οικισμού και Περιβάλλοντος με πράξη 595 της συνεδρίασης 61/1983.
11. Τη σύμφωνη γνώμη του Συμβουλίου Χωροταξίας, Οικισμού και Περιβάλλοντος νομού Αιτωλίας και Ακαρνανίας όπως διατυπώθηκε στο υπ' αριθμόν 15/1986 (θέμα 4ο) πρακτικό αυτού.
12. Το συνημμένο ρυμοτομικό σχέδιο που συνέταξε η Διεύθυνση Γ6 του Υπουργείου Περιβάλλοντος, Χωροταξίας και Δημοσίων Έργων σε κλίμακα 1:1.000.
13. Το 50020/852/1986 έγγραφο της Διεύθυνσης Γ6 του Υπουργείου Περιβάλλοντος, Χωροταξίας και Δημοσίων Έργων.
14. Το άρθρο 26 του νόμου 1337/1983 όπως αντικαταστάθηκε από το άρθρο 8 παράγραφος 13 του νόμου 1512/1985, αποφασίζουμε:
Την έγκριση του τοπικού ρυμοτομικού σχεδίου στην επέκταση του Οικισμού Μύτικα νομού Αιτωλίας και Ακαρνανίας για την μεταφορά του Οικισμού Παναγούλας όπως συνέταξε η Διεύθυνση Γ6 του Υπουργείου Περιβάλλοντος, Χωροταξίας και Δημοσίων Έργων σε κλίμακα 1:1.000 για την αποκατάσταση 120 οικογενειών σε χώρο 135 στρέμματα στην επέκταση ανατολικά και σε επαφή με το σχέδιο Μύτικα.
Όροι Δόμησης όπως παρακάτω:
| • | Συντελεστής Δόμησης: 0.8. |
Επιβάλλεται κατασκευή κεραμοσκεπούς στέγης ύψους το πολύ 2 m πάνω από το μέγιστο ύψος και με κλίση που δεν υπερβαίνει το 35% σύμφωνα με τις διατάξεις του άρθρου 26 του νόμου 1337/1983 όπως αντικαταστάθηκε με το άρθρο 8 παράγραφος 13 του νόμου 1512/1985. Επειδή η κλίμακα (1:1.000) δεν αποδίδει το εμβαδόν και τις διαστάσεις των οικοπέδων των θεωρημένων σχεδίων με ανταπόκριση στους όρους δόμησης (πρόσωπο 14, εμβαδόν 300) που εγκρίνονται, η οριστική παράδοση των οικοπέδων στους δικαιούχους θα γίνει κατόπιν εφαρμογής επί τους εδάφους του θεωρημένου σχεδίου που συνοδεύει την παρούσα απόφαση.

Μεσολόγγι, 08-07-1987
Ο Νομάρχης
ΣΗΜΕΙΩΣΗ: Η παρούσα απόφαση τίθεται όπως τροποποιήθηκε με την υπ' αριθμόν 2954/90/1991 απόφαση (ΦΕΚ 65/Δ/1991).
|