| Συνδεθείτε στην Υπηρεσία Νομοσκόπιο | | | | | Νέοι χρήστες | | Εάν είστε νέος χρήστης, θα πρέπει να δημιουργήσετε ένα ΔΩΡΕΑΝ λογαριασμό προκειμένου να φύγει το παράθυρο αυτό και να αποκτήσετε πλήρη πρόσβαση στην υπηρεσία Νομοσκόπιο. | | Δημιουργία νέου λογαριασμού | | |
Απόφαση 6420/1992: Τροποποίηση ρυμοτομικού σχεδίου πόλεως Ιωαννίνων όσον αφορά το μέγιστο επιτρεπόμενο ύψος οικοδομών στον τομέα ΙΙΒΙ περιοχής Βοτανικού, (ΦΕΚ 1398/Δ/1992), 31-12-1992.
Ο Νομάρχης Ιωαννίνων
Έχοντας υπόψη:
1. Τις διατάξεις του από 17-07-1923 νομοθετικού διατάγματος (ΦΕΚ 228/Α/1923) περί σχεδίων πόλεων και κωμών του κράτους και συγκεκριμένα του άρθρου 3 αυτού.
2. Τις διατάξεις του προεδρικού διατάγματος 183/1986 (ΦΕΚ 70/Α/1086) για έγκριση τροποποιήσεων και καθορισμό όρων και περιορισμών δόμησης από τους Νομάρχες.
3. Την παράγραφο 15 του άρθρου 8 του νόμου 1512/1985 (ΦΕΚ 4/Α/1985).
4. Την υπ' αριθμόν 145/1992 απόφαση του Δημοτικού Συμβουλίου Ιωαννίνων και το γεγονός ότι αυτή πάρθηκε νόμιμα και τηρήθηκαν όλες οι διαδικασίες.
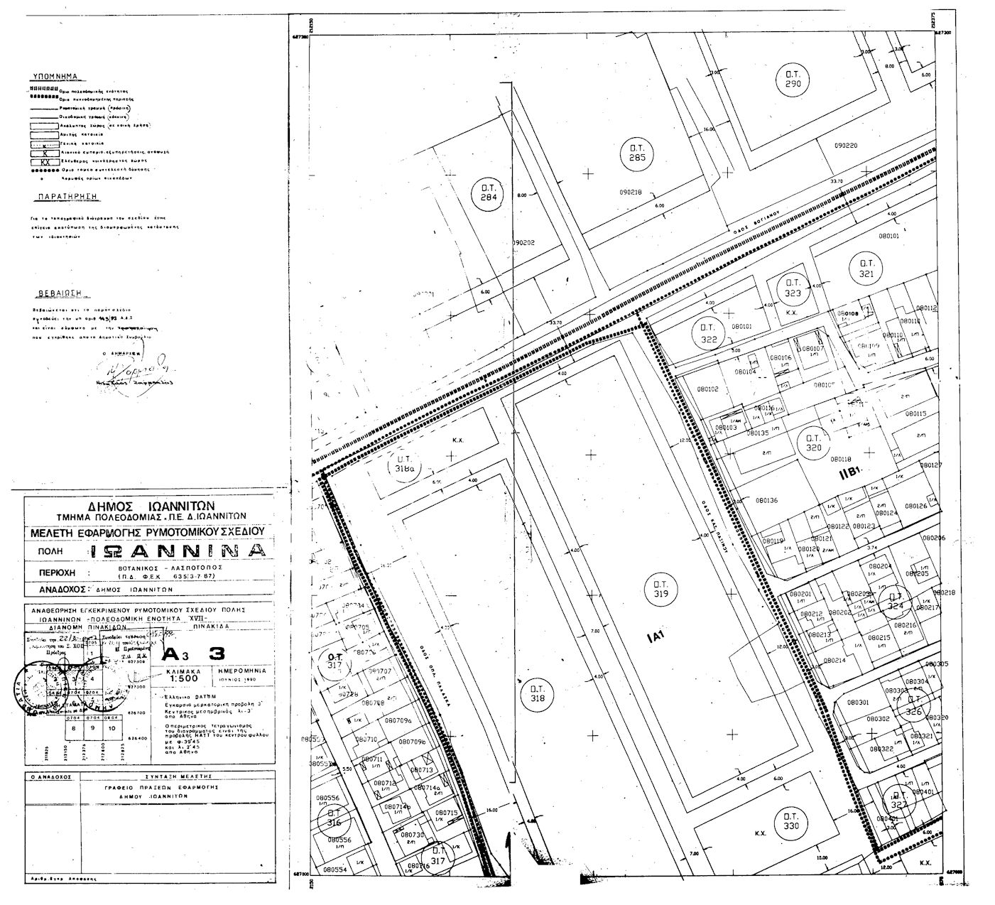
5. Το από 28-05-1987 προεδρικό διάταγμα περί έγκρισης μελέτης των πολεοδομικών ενοτήτων Λόφος Βελισάριου, Κιάφα - Νέα Συράκο, Λασπότοπος, Βελισάριος και τμημάτων των πολεοδομικών ενοτήτων Βοτανικός - Τμήμα Στρατοπέδου Βελισάριου και Βρυσούλα του δήμου Ιωαννιτών (νομού Ιωαννίνων) (ΦΕΚ 635/Δ/1987).
6. Την υπ' αριθμόν 22/30-09-1992 απόφαση του Συμβουλίου Χωροταξίας, Οικισμού και Περιβάλλοντος αναφορικά με το θέμα, αποφασίζουμε:
1. Τροποποιούμε τους όρους δόμησης περιοχής ΙΙΒΙ - Βοτανικού - σχεδίου πόλεως Ιωαννίνων και ορίζουμε ως μέγιστο ύψος κτιρίων τα 9 m. Κατά τα λοιπά ισχύει το από 28-05-1987 προεδρικό διάταγμα (ΦΕΚ 635/Δ/1987).
2. Από τις διατάξεις αυτής της απόφασης δεν προκαλείται δαπάνη σε βάρος του κρατικού προϋπολογισμού.

Η απόφαση αυτή να δημοσιευθεί στην Εφημερίδα της Κυβερνήσεως.
Ιωάννινα, 29-10-1992
Ο Νομάρχης