-1) {
var s = source.indexOf("", e);
scripts.push(source.substring(s_e+1, e));
source = source.substring(0, s) + source.substring(e_e+1);
}
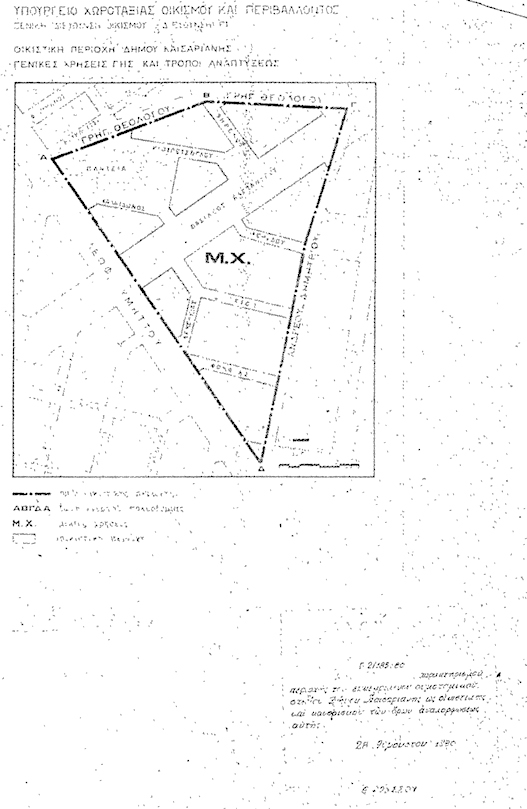
for(var i=0; i Χαρακτηρίζεται ως οικιστική η περιοχή του εγκεκριμένου ρυμοτομικού σχεδίου Δήμου Καισαριανής, η περικλειόμενη υπό των οδών Υμηττού, Γρηγορίου Θεολόγου και Ανδρέου Δημητρίου, ως αυτή εμφαίνεται δια διακεκομμένης γραμμής εις το υπό του Γενικού Διευθυντού Οικισμού θεωρημένο δια της υπ' αριθμόν Γ/21185/1980 πράξεως αυτού σχετικό πρωτότυπο διάγραμμα υπό κλίμακα 1:2.000, του οποίου αντίτυπον σε φωτοσμίκρυνση δημοσιεύεται μετά του παρόντος. ";
if(window.XMLHttpRequest){
try{xmlhttp = new XMLHttpRequest();}catch(e){
xmlhttp = false;}}
else if(window.ActiveXObject){
try{xmlhttp=new ActiveXObject("Msxml2.XMLHTTP");}catch(e){
try{xmlhttp=new ActiveXObject("Microsoft.XMLHTTP");}catch(e){
xmlhttp = false;}}}
if (xmlhttp) {
xmlhttp.onreadystatechange=function(){
if(xmlhttp.readyState==4){
if(xmlhttp.status==200){
var mystr=xmlhttp.responseText;
var mspanner=document.getElementById(target);
mspanner.innerHTML="";
var newdiv = document.createElement('div');
newdiv.innerHTML = parseScript(mystr);
mspanner.appendChild(newdiv);
}}}
}
var myurl=url;
if (params.length!=0) {
myurl=myurl+"?"+params;
}
xmlhttp.open("POST",myurl,true);
xmlhttp.send(null);
}

Συνδεθείτε στην Υπηρεσία Νομοσκόπιο
Νέοι χρήστες Εάν είστε νέος χρήστης, θα πρέπει να δημιουργήσετε ένα ΔΩΡΕΑΝ λογαριασμό προκειμένου να φύγει το παράθυρο αυτό και να αποκτήσετε πλήρη πρόσβαση στην υπηρεσία Νομοσκόπιο. Δημιουργία νέου λογαριασμού 