-1) {
var s = source.indexOf("", e);
scripts.push(source.substring(s_e+1, e));
source = source.substring(0, s) + source.substring(e_e+1);
}
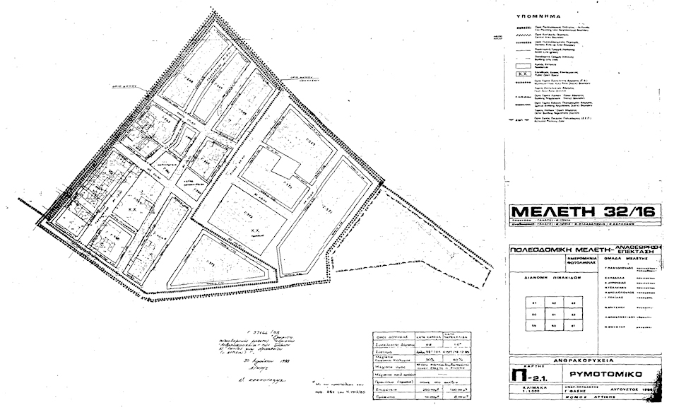
for(var i=0; i Εγκρίνεται το πολεοδομικό σχέδιο της πολεοδομικής ενότητας Ανθρακωρυχεία των δήμων Νέας Ιωνίας και Ηρακλείου (νομού Αττικής), που το μεγαλύτερο τμήμα της έχει χαρακτηρισθεί ως πυκνοδομημένο με την υπ' αριθμόν 48204/2530/17-06-1988 απόφαση του Αναπληρωτή Υπουργού Περιβάλλοντος, Χωροταξίας και Δημοσίων Έργων Χαρακτηρισμός ως πυκνοδομημένου τμήματος της περιοχής Ανθρακωρυχεία του δήμου Νέας Ιωνίας και Ηρακλείου με τον καθορισμό οικοδομήσιμων χώρων, οδών, πεζοδρόμων, κοινοχρήστων χώρων, κοινοχρήστων χώρων πρασίνου, χώρου νηπιαγωγείου, χώρου αθλοπαιδιών, όπως φαίνονται στο σχετικό χρωματισμένο πρωτότυπο διάγραμμα σε κλίμακα 1:1000 που θεωρήθηκε από τον Προϊστάμενο της Διεύθυνσης Τοπογραφικών Εφαρμογών με την υπ' αριθμόν 57144/1988 πράξη του και που συνοπτικό του αντίτυπο δημοσιεύεται με το παρόν διάταγμα. ";
if(window.XMLHttpRequest){
try{xmlhttp = new XMLHttpRequest();}catch(e){
xmlhttp = false;}}
else if(window.ActiveXObject){
try{xmlhttp=new ActiveXObject("Msxml2.XMLHTTP");}catch(e){
try{xmlhttp=new ActiveXObject("Microsoft.XMLHTTP");}catch(e){
xmlhttp = false;}}}
if (xmlhttp) {
xmlhttp.onreadystatechange=function(){
if(xmlhttp.readyState==4){
if(xmlhttp.status==200){
var mystr=xmlhttp.responseText;
var mspanner=document.getElementById(target);
mspanner.innerHTML="";
var newdiv = document.createElement('div');
newdiv.innerHTML = parseScript(mystr);
mspanner.appendChild(newdiv);
}}}
}
var myurl=url;
if (params.length!=0) {
myurl=myurl+"?"+params;
}
xmlhttp.open("POST",myurl,true);
xmlhttp.send(null);
}

Συνδεθείτε στην Υπηρεσία Νομοσκόπιο
Νέοι χρήστες Εάν είστε νέος χρήστης, θα πρέπει να δημιουργήσετε ένα ΔΩΡΕΑΝ λογαριασμό προκειμένου να φύγει το παράθυρο αυτό και να αποκτήσετε πλήρη πρόσβαση στην υπηρεσία Νομοσκόπιο. Δημιουργία νέου λογαριασμού 