-1) {
var s = source.indexOf("", e);
scripts.push(source.substring(s_e+1, e));
source = source.substring(0, s) + source.substring(e_e+1);
}
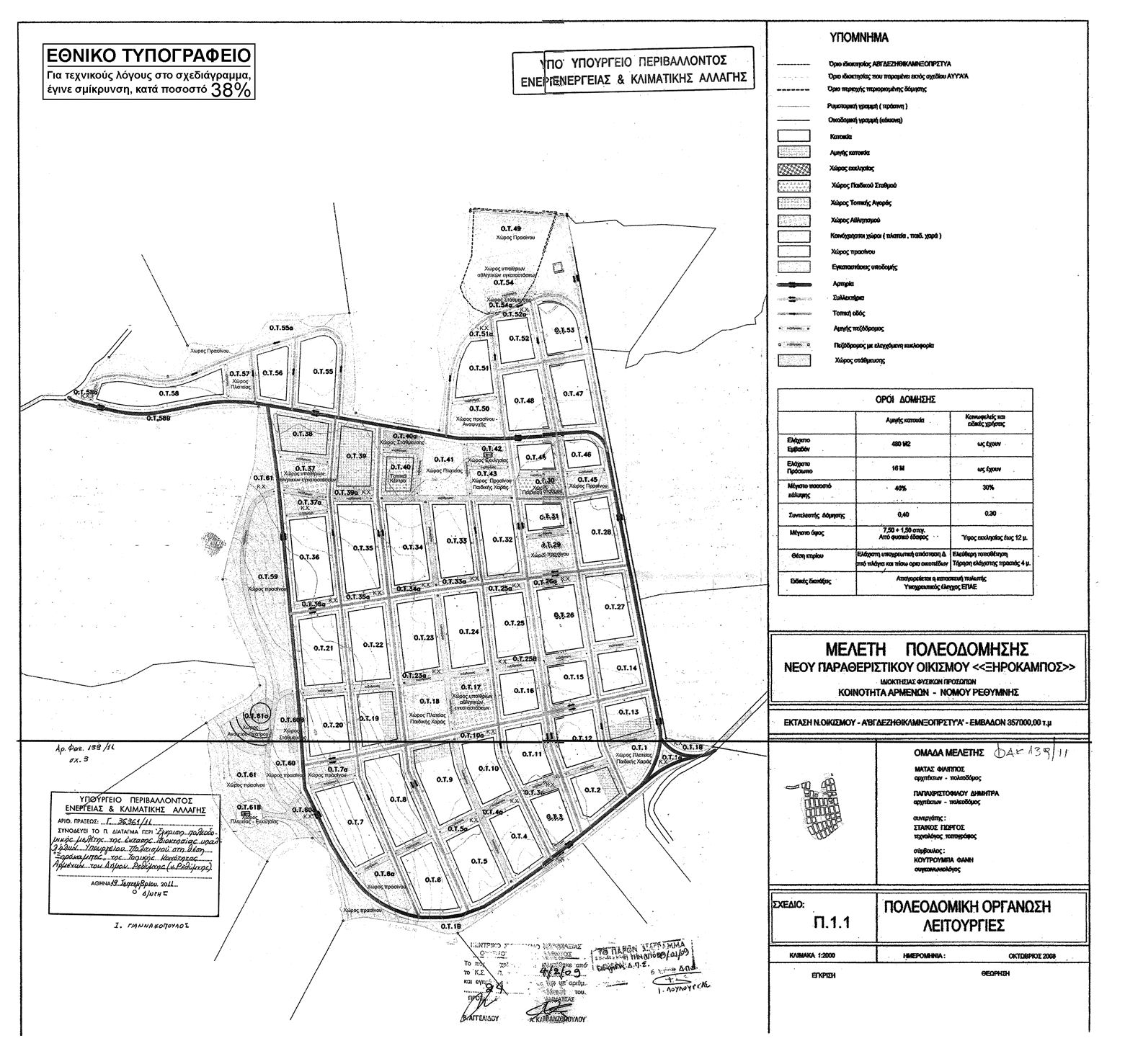
for(var i=0; i Εγκρίνεται το πολεοδομικό σχέδιο της έκτασης ιδιοκτησίας υπαλλήλων Υπουργείου Πολιτισμού στη θέση Ξηρόκαμπος της τοπικής κοινότητας Αρμένων του Δήμου Ρεθύμνης (νομός Ρεθύμνης) με τον καθορισμό οικοδομήσιμων χώρων, οδών, πεζοδρόμων, κοινοχρήστων χώρων, χώρων πρασίνου, στάθμευσης, πλατείας - παιδικής χαράς, υπαίθριων αθλητικών εγκαταστάσεων, πλατείας, χώρου εκκλησίας, παιδικού σταθμού, πρασίνου - παιδικής χαράς, πλατείας - εκκλησίας, ανοικτού θεάτρου, εγκαταστάσεων υποδομής, όπως φαίνεται στα 2 σχετικά πρωτότυπα διαγράμματα σε κλίμακα 1:1000 και στο 1 σε κλίμακα 1:2000 που θεωρήθηκαν από τον Προϊστάμενο της Διεύθυνσης Τοπογραφικών Εργασιών με την αριθμό 36361/18-08-2011 πράξη του και που αντίτυπά τους σε φωτοσμίκρυνση δημοσιεύονται με το παρόν διάταγμα. ";
if(window.XMLHttpRequest){
try{xmlhttp = new XMLHttpRequest();}catch(e){
xmlhttp = false;}}
else if(window.ActiveXObject){
try{xmlhttp=new ActiveXObject("Msxml2.XMLHTTP");}catch(e){
try{xmlhttp=new ActiveXObject("Microsoft.XMLHTTP");}catch(e){
xmlhttp = false;}}}
if (xmlhttp) {
xmlhttp.onreadystatechange=function(){
if(xmlhttp.readyState==4){
if(xmlhttp.status==200){
var mystr=xmlhttp.responseText;
var mspanner=document.getElementById(target);
mspanner.innerHTML="";
var newdiv = document.createElement('div');
newdiv.innerHTML = parseScript(mystr);
mspanner.appendChild(newdiv);
}}}
}
var myurl=url;
if (params.length!=0) {
myurl=myurl+"?"+params;
}
xmlhttp.open("POST",myurl,true);
xmlhttp.send(null);
}

Συνδεθείτε στην Υπηρεσία Νομοσκόπιο
Νέοι χρήστες Εάν είστε νέος χρήστης, θα πρέπει να δημιουργήσετε ένα ΔΩΡΕΑΝ λογαριασμό προκειμένου να φύγει το παράθυρο αυτό και να αποκτήσετε πλήρη πρόσβαση στην υπηρεσία Νομοσκόπιο. Δημιουργία νέου λογαριασμού 
