-1) {
var s = source.indexOf("", e);
scripts.push(source.substring(s_e+1, e));
source = source.substring(0, s) + source.substring(e_e+1);
}
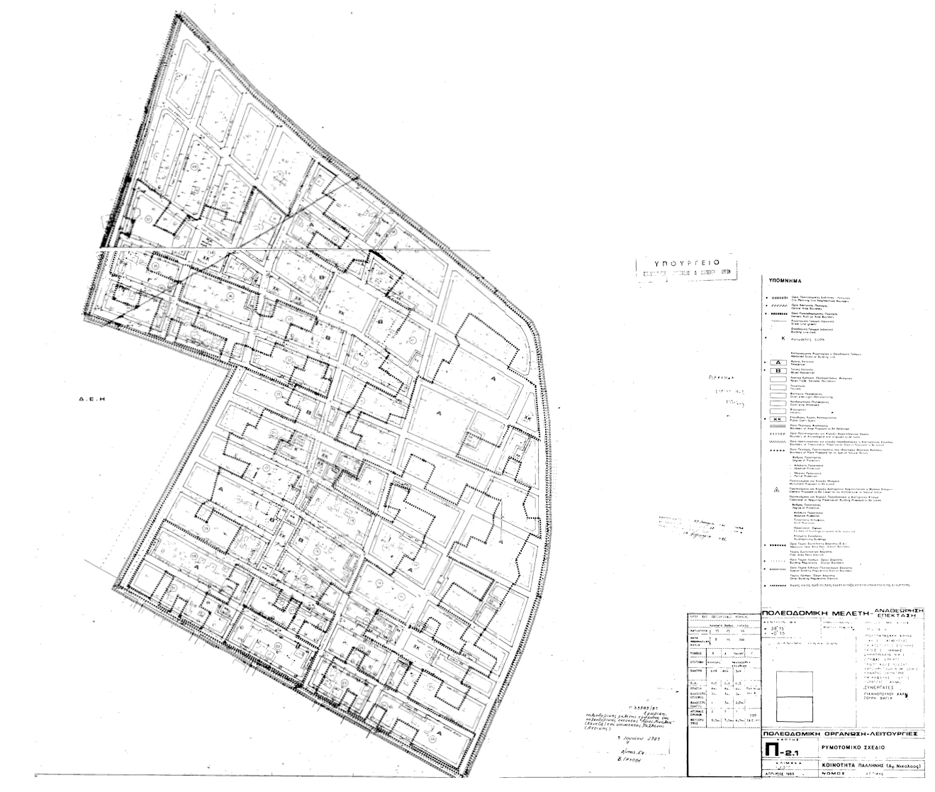
for(var i=0; i Εγκρίνεται το πολεοδομικό σχέδιο τμήματος της πολεοδομικής ενότητας Άγιος Νικόλαος (Κάντζα) της Κοινότητας Παλλήνης (Αττικής) που έχει χαρακτηρισθεί ως πυκνοδομημένη με την υπ' αριθμόν 82003/3439/1985 απόφαση του Υπουργού Περιβάλλοντος, Χωροταξίας και Δημοσίων Έργων με τον καθορισμό οικοδομήσιμων χώρων, χώρου κοινοχρήστου πρασίνου, όπως οι παραπάνω ρυθμίσεις φαίνονται στα 2 σχετικά πρωτότυπα διαγράμματα σε κλίμακα 1:1000 που θεωρήθηκαν από τον Προϊστάμενο της Διεύθυνσης Πολεοδομικών Εφαρμογών με την υπ' αριθμόν 33589/1987 πράξη του και που συνοπτικά τους αντίτυπα δημοσιεύονται με το παρόν διάταγμα. ";
if(window.XMLHttpRequest){
try{xmlhttp = new XMLHttpRequest();}catch(e){
xmlhttp = false;}}
else if(window.ActiveXObject){
try{xmlhttp=new ActiveXObject("Msxml2.XMLHTTP");}catch(e){
try{xmlhttp=new ActiveXObject("Microsoft.XMLHTTP");}catch(e){
xmlhttp = false;}}}
if (xmlhttp) {
xmlhttp.onreadystatechange=function(){
if(xmlhttp.readyState==4){
if(xmlhttp.status==200){
var mystr=xmlhttp.responseText;
var mspanner=document.getElementById(target);
mspanner.innerHTML="";
var newdiv = document.createElement('div');
newdiv.innerHTML = parseScript(mystr);
mspanner.appendChild(newdiv);
}}}
}
var myurl=url;
if (params.length!=0) {
myurl=myurl+"?"+params;
}
xmlhttp.open("POST",myurl,true);
xmlhttp.send(null);
}

Συνδεθείτε στην Υπηρεσία Νομοσκόπιο
Νέοι χρήστες Εάν είστε νέος χρήστης, θα πρέπει να δημιουργήσετε ένα ΔΩΡΕΑΝ λογαριασμό προκειμένου να φύγει το παράθυρο αυτό και να αποκτήσετε πλήρη πρόσβαση στην υπηρεσία Νομοσκόπιο. Δημιουργία νέου λογαριασμού 