-1) {
var s = source.indexOf("", e);
scripts.push(source.substring(s_e+1, e));
source = source.substring(0, s) + source.substring(e_e+1);
}
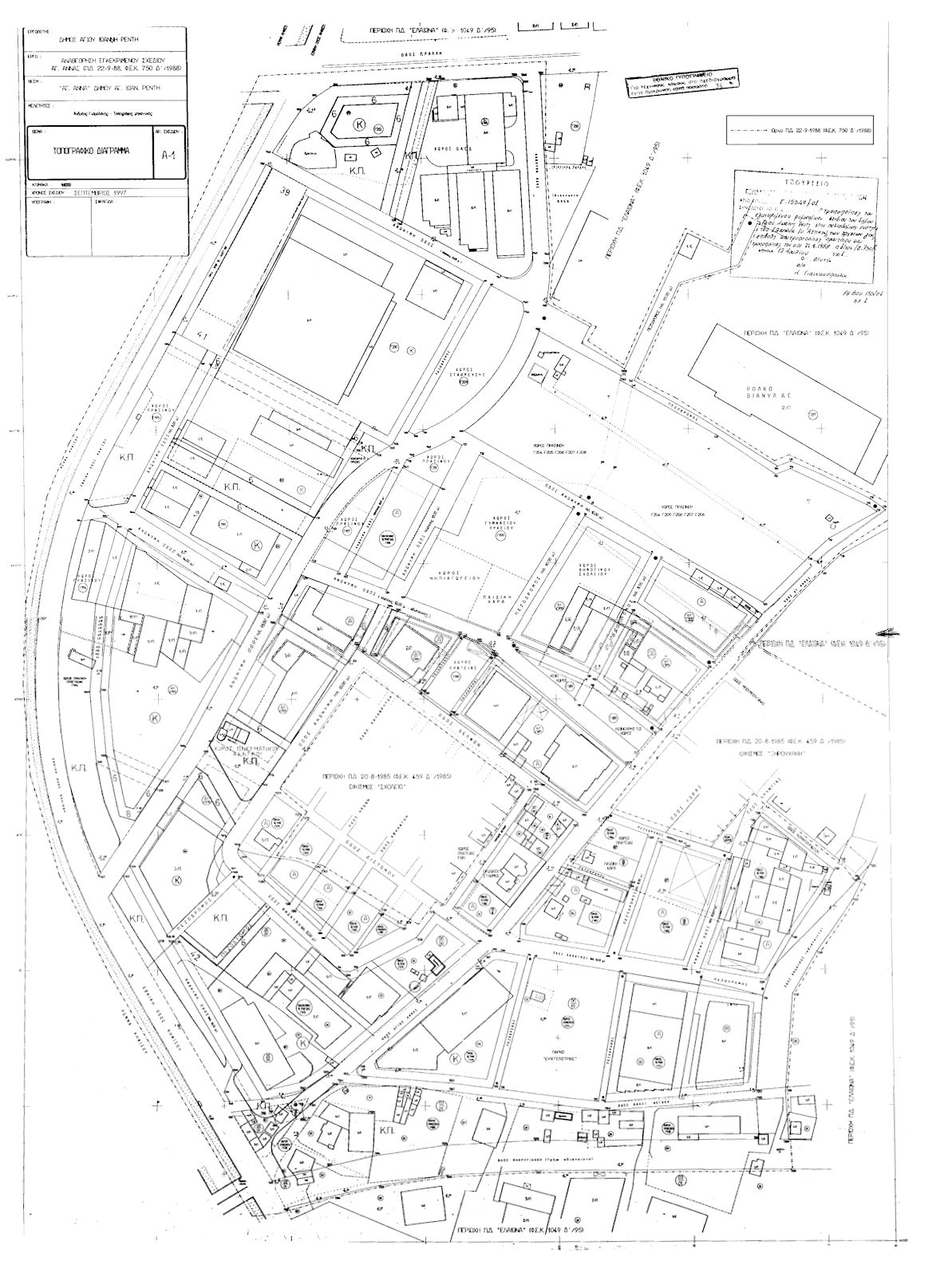
for(var i=0; i Εγκρίνεται η τροποποίηση του εγκεκριμένου ρυμοτομικού σχεδίου του δήμου Αγίου Ιωάννη Ρέντη στην πολεοδομική ενότητα του Ελαιώνα (Νομού Αττικής) και ειδικότερα στην περιοχή Αγίας Άννας που έχει καθοριστεί Ζώνη Ελεγχόμενης Ανάπτυξης (ΖΕΑ) με το από 18-12-1990 προεδρικό διάταγμα (ΦΕΚ 709/Δ/1990) και έχει εγκριθεί με το από 22-09-1988 προεδρικό διάταγμα (ΦΕΚ 750/Δ/1988) με τη μετατόπιση οικοδομικών, ρυμοτομικών γραμμών, κατάργηση οδού, έγκριση οδών, πεζοδρόμων, δημιουργία νέων οικοδομικών τετραγώνων, καθορισμό κοινοχρήστων πρασίνων, χώρου πνευματικού κέντρου, όπως οι παραπάνω ρυθμίσεις φαίνονται στο σχετικό πρωτότυπο χρωματισμένο διάγραμμα σε κλίμακα 1:1000 που θεωρήθηκε από τον Προϊστάμενο της Διεύθυνσης Τοπογραφικών Εφαρμογών με την 15349/2001 πράξη του και που αντίτυπό του σε φωτοσμίκρυνση δημοσιεύεται με το παρόν διάταγμα. ";
if(window.XMLHttpRequest){
try{xmlhttp = new XMLHttpRequest();}catch(e){
xmlhttp = false;}}
else if(window.ActiveXObject){
try{xmlhttp=new ActiveXObject("Msxml2.XMLHTTP");}catch(e){
try{xmlhttp=new ActiveXObject("Microsoft.XMLHTTP");}catch(e){
xmlhttp = false;}}}
if (xmlhttp) {
xmlhttp.onreadystatechange=function(){
if(xmlhttp.readyState==4){
if(xmlhttp.status==200){
var mystr=xmlhttp.responseText;
var mspanner=document.getElementById(target);
mspanner.innerHTML="";
var newdiv = document.createElement('div');
newdiv.innerHTML = parseScript(mystr);
mspanner.appendChild(newdiv);
}}}
}
var myurl=url;
if (params.length!=0) {
myurl=myurl+"?"+params;
}
xmlhttp.open("POST",myurl,true);
xmlhttp.send(null);
}

Συνδεθείτε στην Υπηρεσία Νομοσκόπιο
Νέοι χρήστες Εάν είστε νέος χρήστης, θα πρέπει να δημιουργήσετε ένα ΔΩΡΕΑΝ λογαριασμό προκειμένου να φύγει το παράθυρο αυτό και να αποκτήσετε πλήρη πρόσβαση στην υπηρεσία Νομοσκόπιο. Δημιουργία νέου λογαριασμού 