-1) {
var s = source.indexOf("", e);
scripts.push(source.substring(s_e+1, e));
source = source.substring(0, s) + source.substring(e_e+1);
}
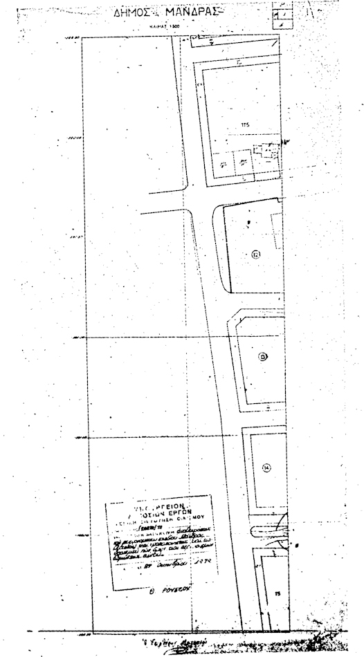
for(var i=0; i Εγκρίνεται η αναθεώρησις του ρυμοτομικού σχεδίου Μάνδρας (Αττικής), του εγκριθέντος δια των από [ΒΔ] 06-02-1970 και 13-08-1970 βασιλικών διαταγμάτων περί τροποποιήσεως και επεκτάσεως του ρυμοτομικού σχεδίου Μάνδρας (Αττικής) και καθορισμού των όρων και περιορισμών δομήσεως των οικοπέδων αυτού (ΦΕΚ 38/Δ/1970) και (ΦΕΚ 194/Δ/1970), ως εμφαίνεται εις τα υπό του Γενικού Διευθυντού Οικισμού τεθεωρημένα δια της υπ' αριθμού Γ/28878/1079 πράξεως αυτού δέκα πέντε (15) σχετικά πρωτότυπα διαγράμματα υπό κλίμακα 1:500, των οποίων συνοπτικά αντίτυπα δημοσιεύονται μετά του παρόντος. ";
if(window.XMLHttpRequest){
try{xmlhttp = new XMLHttpRequest();}catch(e){
xmlhttp = false;}}
else if(window.ActiveXObject){
try{xmlhttp=new ActiveXObject("Msxml2.XMLHTTP");}catch(e){
try{xmlhttp=new ActiveXObject("Microsoft.XMLHTTP");}catch(e){
xmlhttp = false;}}}
if (xmlhttp) {
xmlhttp.onreadystatechange=function(){
if(xmlhttp.readyState==4){
if(xmlhttp.status==200){
var mystr=xmlhttp.responseText;
var mspanner=document.getElementById(target);
mspanner.innerHTML="";
var newdiv = document.createElement('div');
newdiv.innerHTML = parseScript(mystr);
mspanner.appendChild(newdiv);
}}}
}
var myurl=url;
if (params.length!=0) {
myurl=myurl+"?"+params;
}
xmlhttp.open("POST",myurl,true);
xmlhttp.send(null);
}

Συνδεθείτε στην Υπηρεσία Νομοσκόπιο
Νέοι χρήστες Εάν είστε νέος χρήστης, θα πρέπει να δημιουργήσετε ένα ΔΩΡΕΑΝ λογαριασμό προκειμένου να φύγει το παράθυρο αυτό και να αποκτήσετε πλήρη πρόσβαση στην υπηρεσία Νομοσκόπιο. Δημιουργία νέου λογαριασμού 













