-1) {
var s = source.indexOf("", e);
scripts.push(source.substring(s_e+1, e));
source = source.substring(0, s) + source.substring(e_e+1);
}
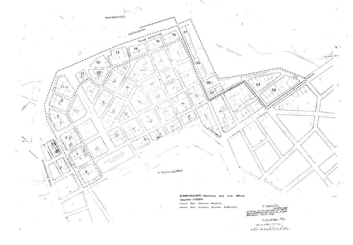
for(var i=0; i Καθορίζονται χρήσεις γης στην περιοχή του ΜΕΤΣ του ρυμοτομικού σχεδίου Αθηνών που περικλείεται από τις οδούς Αρδηττού, Βουλιαγμένης - Καρέα, Ιόλης, Δέφνερ, Τυρταίου, Ανωνύμου οδού (μεταξύ των οικοδομικών τετραγώνων 11 και 23 περιοχής 53 του ρυμοτομικού σχεδίου Αθηνών), Αριστονίκου, Γλαύκου, Μ. Πηγά, Γοργίου, Μάρκου Μουσούρου, Τριβωνιανού, Δικαιάρχου, Αρχιμήδους, Κλειτομάχου, Λόφου Αρδηττού, Ν. Θεοτόκη, Αρδηττού όπως αυτή φαίνεται στο σχετικό πρωτότυπο διάγραμμα σε κλίμακα 1:1000 που θεωρήθηκε από τον Προϊστάμενο της Διεύθυνσης Τοπογραφικών Εφαρμογών με την 78506/1993 πράξη του και που αντίτυπό του σε φωτοσμίκρυνση δημοσιεύεται με το παρόν διάταγμα. ";
if(window.XMLHttpRequest){
try{xmlhttp = new XMLHttpRequest();}catch(e){
xmlhttp = false;}}
else if(window.ActiveXObject){
try{xmlhttp=new ActiveXObject("Msxml2.XMLHTTP");}catch(e){
try{xmlhttp=new ActiveXObject("Microsoft.XMLHTTP");}catch(e){
xmlhttp = false;}}}
if (xmlhttp) {
xmlhttp.onreadystatechange=function(){
if(xmlhttp.readyState==4){
if(xmlhttp.status==200){
var mystr=xmlhttp.responseText;
var mspanner=document.getElementById(target);
mspanner.innerHTML="";
var newdiv = document.createElement('div');
newdiv.innerHTML = parseScript(mystr);
mspanner.appendChild(newdiv);
}}}
}
var myurl=url;
if (params.length!=0) {
myurl=myurl+"?"+params;
}
xmlhttp.open("POST",myurl,true);
xmlhttp.send(null);
}

Συνδεθείτε στην Υπηρεσία Νομοσκόπιο
Νέοι χρήστες Εάν είστε νέος χρήστης, θα πρέπει να δημιουργήσετε ένα ΔΩΡΕΑΝ λογαριασμό προκειμένου να φύγει το παράθυρο αυτό και να αποκτήσετε πλήρη πρόσβαση στην υπηρεσία Νομοσκόπιο. Δημιουργία νέου λογαριασμού 