| Συνδεθείτε στην Υπηρεσία Νομοσκόπιο | | | | | Νέοι χρήστες | | Εάν είστε νέος χρήστης, θα πρέπει να δημιουργήσετε ένα ΔΩΡΕΑΝ λογαριασμό προκειμένου να φύγει το παράθυρο αυτό και να αποκτήσετε πλήρη πρόσβαση στην υπηρεσία Νομοσκόπιο. | | Δημιουργία νέου λογαριασμού | | |
Εγκρίνεται:
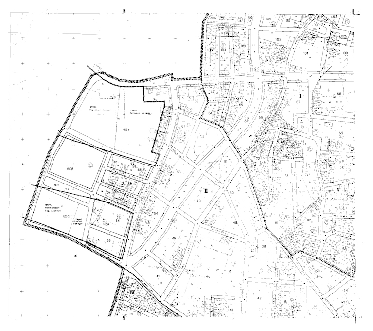
1. Το πολεοδομικό σχέδιο τμήματος της πολεοδομικής ενότητας 11 (Δημητρίου - Μπεντεβή) του Δήμου Ηρακλείου (Ν. Ηρακλείου) με τον καθορισμό οικοδομήσιμων χώρων, οδών και κοινοχρήστου χώρου, και
2. α) Η τροποποίηση του ρυμοτομικού σχεδίου στο χώρο εκπαιδευτηρίων που καθορίστηκε με το από [ΒΔ] 20-01-1972 βασιλικό διάταγμα (ΦΕΚ 30/Δ/1972) με την έγκριση εντός αυτού: πεζοδρόμων και οδών, και τον χαρακτηρισμό αυτού σε:
| • | χώρο νηπιαγωγείου - δημοτικού σχολείου, |
| • | χώρο βρεφονηπιακού σταθμού, |
| • | οικοδομήσιμους χώρους και σε κοινόχρηστο χώρο, και |
β) Η τροποποίηση του ρυμοτομικού σχεδίου στο χώρο Μέσης Τεχνικής Σχολής, που καθορίστηκε με την Γ24318/2091/1978 απόφαση του Υφυπουργού Δημοσίων Έργων (ΦΕΚ 494/Δ/1978) με τον χαρακτηρισμό τμήματος αυτού σε οικοδομήσιμο,
όπως οι ρυθμίσεις των παραγράφων 1 και 2 φαίνονται στο σχετικό πρωτότυπο διάγραμμα σε κλίμακα 1:1.000, που θεωρήθηκε από τον Προϊστάμενο της Διεύθυνσης Τοπογραφικών Εφαρμογών και που αντίτυπό του σε φωτοσμίκρυνση δημοσιεύεται με το παρόν διάταγμα.
