-1) {
var s = source.indexOf("", e);
scripts.push(source.substring(s_e+1, e));
source = source.substring(0, s) + source.substring(e_e+1);
}
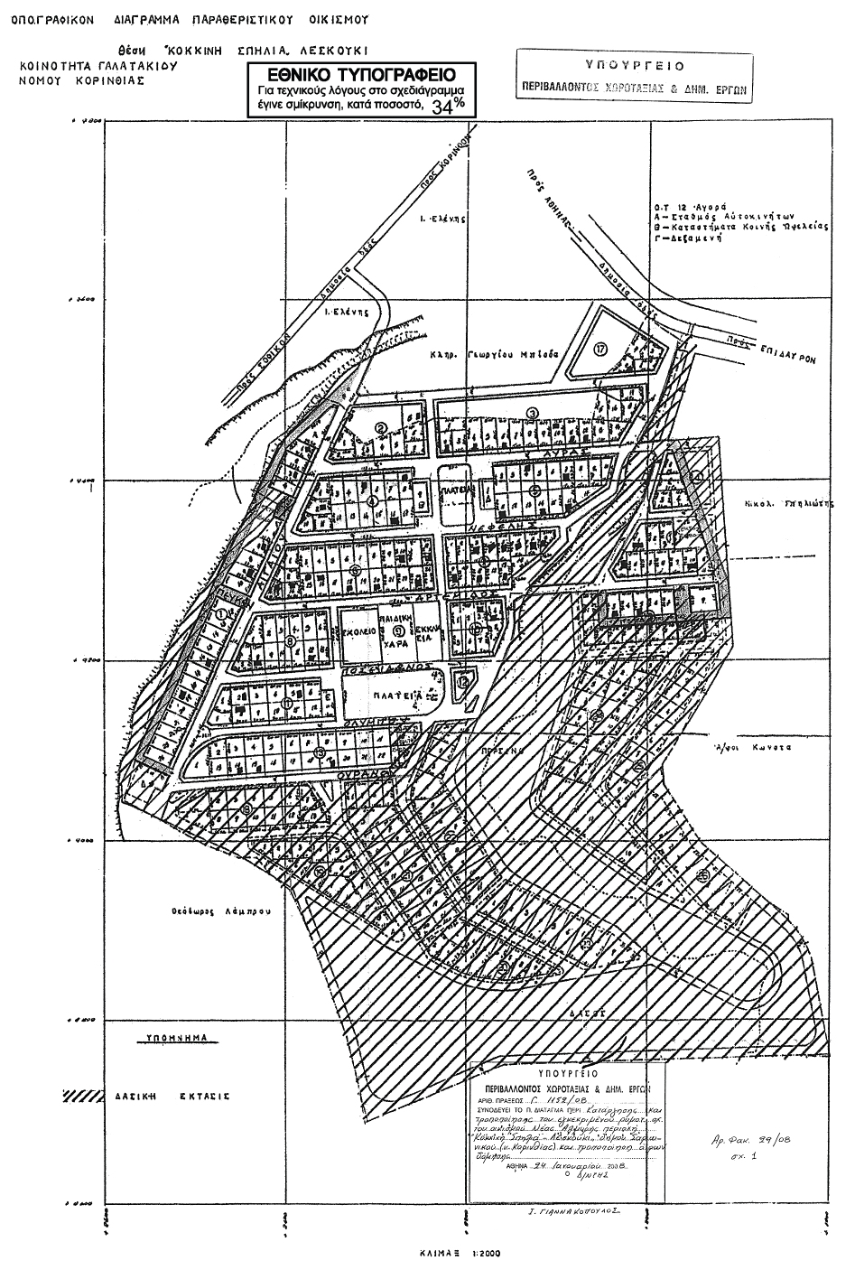
for(var i=0; i α) Καταργείται τμήμα του εγκεκριμένου ρυμοτομικού σχεδίου του οικισμού Νέας Αλμυρής περιοχή Κόκκινη Σπηλιά - Λεσκούκι του Δήμου Σαρωνικού (νομού Κορινθίας), που έχει εγκριθεί με την υπ' αριθμόν 27602/1969 απόφαση του Νομάρχη Κορινθίας (ΦΕΚ 144/Δ/1969), όπως το τμήμα αυτό φαίνεται με μαύρη διαγράμμιση στο σχετικό πρωτότυπο διάγραμμα σε κλίμακα 1:2000 που θεωρήθηκε από τον Προϊστάμενο της Διεύθυνσης Τοπογραφικών Εφαρμογών με την υπ' αριθμόν 1152/2008 πράξη του και που αντίτυπό του σε φωτοσμίκρυνση δημοσιεύεται με το παρόν διάταγμα και β) Τροποποιείται το εγκεκριμένο ρυμοτομικό σχέδιο στην υπόλοιπη περιοχή της οποίας το σχέδιο δεν καταργείται με την προηγούμενη παράγραφο, με την έγκριση πεζοδρόμων και τον καθορισμό χώρων πλατείας, κοινόχρηστου χώρου, χώρου σχολείου, παιδικής χαράς, εκκλησίας, όπως οι ρυθμίσεις αυτές φαίνονται στο ίδιο ως άνω διάγραμμα. ";
if(window.XMLHttpRequest){
try{xmlhttp = new XMLHttpRequest();}catch(e){
xmlhttp = false;}}
else if(window.ActiveXObject){
try{xmlhttp=new ActiveXObject("Msxml2.XMLHTTP");}catch(e){
try{xmlhttp=new ActiveXObject("Microsoft.XMLHTTP");}catch(e){
xmlhttp = false;}}}
if (xmlhttp) {
xmlhttp.onreadystatechange=function(){
if(xmlhttp.readyState==4){
if(xmlhttp.status==200){
var mystr=xmlhttp.responseText;
var mspanner=document.getElementById(target);
mspanner.innerHTML="";
var newdiv = document.createElement('div');
newdiv.innerHTML = parseScript(mystr);
mspanner.appendChild(newdiv);
}}}
}
var myurl=url;
if (params.length!=0) {
myurl=myurl+"?"+params;
}
xmlhttp.open("POST",myurl,true);
xmlhttp.send(null);
}

Συνδεθείτε στην Υπηρεσία Νομοσκόπιο
Νέοι χρήστες Εάν είστε νέος χρήστης, θα πρέπει να δημιουργήσετε ένα ΔΩΡΕΑΝ λογαριασμό προκειμένου να φύγει το παράθυρο αυτό και να αποκτήσετε πλήρη πρόσβαση στην υπηρεσία Νομοσκόπιο. Δημιουργία νέου λογαριασμού 