| Συνδεθείτε στην Υπηρεσία Νομοσκόπιο | | | | | Νέοι χρήστες | | Εάν είστε νέος χρήστης, θα πρέπει να δημιουργήσετε ένα ΔΩΡΕΑΝ λογαριασμό προκειμένου να φύγει το παράθυρο αυτό και να αποκτήσετε πλήρη πρόσβαση στην υπηρεσία Νομοσκόπιο. | | Δημιουργία νέου λογαριασμού | | |
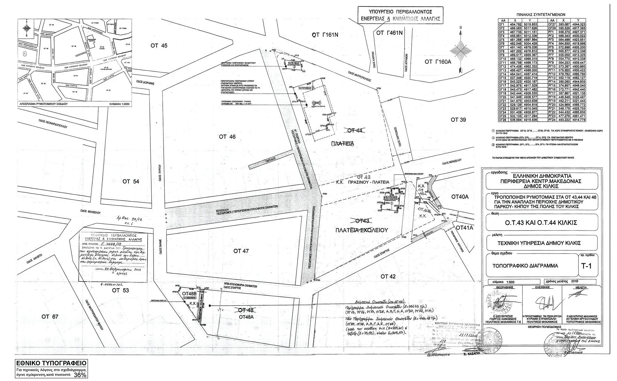
Εγκρίνεται η τροποποίηση του εγκεκριμένου ρυμοτομικού σχεδίου της Δημοτικής Ενότητας Κιλκίς του Δήμου Κιλκίς (Νομός Κιλκίς) και ειδικότερα:
1. Στα οικοδομικά τετράγωνα 43 (χώρος πλατείας σχολείου) και 44 (χώρος, πλατείας) με τη μετατόπιση των ρυμοτομικών γραμμών, την ενοποίησή τους και τη δημιουργία νέου Κοινόχρηστου Χώρου - πρασίνου - πλατείας (Οικοδομικό Τετράγωνο 43), την έγκριση οδού και πεζοδρόμων, καθώς και τον καθορισμό των οικοδομικών τετραγώνων 44Α και 44Β ως κοινοχρήστων χώρων.
2. Στο Οικοδομικό Τετράγωνο 48 με το χαρακτηρισμό τμήματος αυτού ως κοινοχρήστου χώρου (Οικοδομικό Τετράγωνο 48Β) και την έγκριση πεζοδρόμου.
3. Το χαρακτηρισμό ως πεζοδρόμων των τμημάτων των οδών:
α. Βενιζέλου, από την οδό Πάλμε έως την οδό Αγίου Γεωργίου και
β. Αγίου Γεωργίου από την οδό Σπάρτης έως την οδό Μητροπόλεως,
όπως οι παραπάνω ρυθμίσεις φαίνονται στο σχετικό πρωτότυπο διάγραμμα σε κλίμακα 1:500 που θεωρήθηκε από τον Προϊστάμενο της Διεύθυνσης Τοπογραφικών Εφαρμογών με την υπ' αριθμόν 5648/2012 πράξη του και που αντίτυπό του σε φωτοσμίκρυνση δημοσιεύεται με το παρόν διάταγμα.
