| Συνδεθείτε στην Υπηρεσία Νομοσκόπιο | | | | | Νέοι χρήστες | | Εάν είστε νέος χρήστης, θα πρέπει να δημιουργήσετε ένα ΔΩΡΕΑΝ λογαριασμό προκειμένου να φύγει το παράθυρο αυτό και να αποκτήσετε πλήρη πρόσβαση στην υπηρεσία Νομοσκόπιο. | | Δημιουργία νέου λογαριασμού | | |
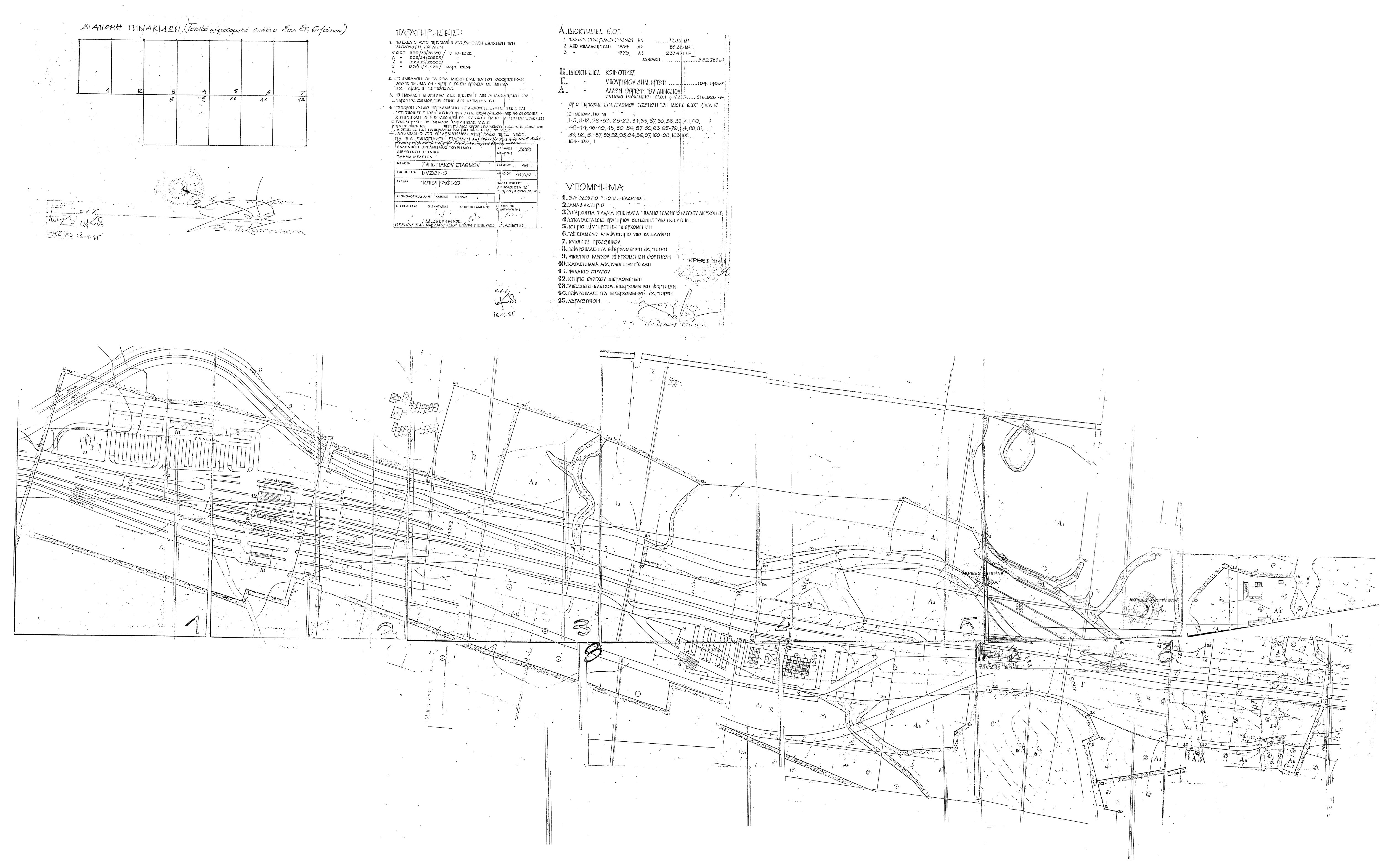
Απόφαση 125/1985: Ίδρυση τοπικού ρυμοτομικού σχεδίου του Συνοριακού Σταθμού Ευζώνων, (ΦΕΚ 260/Δ/1985), 31-05-1985.
Ο Νομάρχης Κιλκίς
Έχοντας υπόψη:
1. Τα άρθρα 1, 3, 9, 11 και 29 του από 17-07-1923 νομοθετικού διατάγματος περί σχεδίων πόλεων και κωμών.
2. Τα άρθρα 1, 2, 3 και 4 του νόμου [Ν] 1065/1980 περί κυρώσεως του Κοινοτικού και Δημοτικού Κώδικα.
3. Το νομοθετικό διάταγμα [Ν] 119/1973 περί ιδρύσεως Συνοριακών Σταθμών.
4. Το άρθρο 26 του νόμου 1337/1983 περί επέκτασης των πολεοδομικών σχεδίων, οικιστική ανάπτυξη και συναφείς ρυθμίσεις, όπως τροποποιήθηκε με την παράγραφο 13 του άρθρου 8 του νόμου 1512/1985 περί τροποποίησης και συμπλήρωσης πολεοδομικών διατάξεων ρύθμιση συναφών θεμάτων και θεμάτων Ταμείου Νομικών, για την ίδρυση τοπικού ρυμοτομικού σχεδίου σε εκτός σχεδίου περιοχές, εντός των διοικητικών ορίων οικισμών κάτω των 5.000 και με απόφαση Νομάρχη.
5. Την εξαίρεση από το από 23-10-1959 βασιλικό διάταγμα περί αποστάσεων και μέτρων ασφαλείας Υπεραστικών Συγκοινωνιών, ως προκύπτει εκ του συνδυασμού των άρθρων 11 παράγραφος 1 του από 17-07-1923 νομοθετικού διατάγματος και 21 παράγραφος 2 του δ.29 όπως επίσης και εκ των άρθρων 1 παράγραφος 1 του από 17-07-1923 νομοθετικού διατάγματος 21 παράγραφος 2 του από 03-04-1929 προεδρικού διατάγματος, 128 παράγραφος 1 του νομοθετικού διατάγματος 8/1973 περί Γενικού Οικοδομικού Κανονισμού.
6. Τις παραγράφους 1, 2 και 5)β του άρθρου 35 του νομοθετικού διατάγματος 8/1973 περί Γενικού Οικοδομικού Κανονισμού όπως επίσης και την παράγραφο 6 του άρθρου 38 του ίδιου νομοθετικού διατάγματος.
7. Τα άρθρα 15 παράγραφος 1, 4, 5 και 18 παράγραφοι 1, 2, 3 του νόμου 1337/1983 περί αναστολής κατεδάφισης αυθαιρέτων και περί ειδικής εισφοράς αυθαιρέτου αντίστοιχα.
8. Την παράγραφο 1)β του άρθρου 15 του νόμου 1337/1983, όπως τροποποιήθηκε με την παράγραφο 6 του άρθρου 8 του νόμου 1512/1985 για την αναστολή από την κατεδάφιση αυθαιρέτων κατασκευών σε εκτός σχεδίου περιοχές μέχρι καθορισμού των χρήσεων γης.
9. Την με αριθμό οίκοθεν ΕΠΑ-104 εισήγηση του Τμήματος Πολεοδομίας και Πολεοδομικών Εφαρμογών / Κιλκίς στο Συμβούλιο Χωροταξίας, Οικισμού και Περιβάλλοντος νομού Κιλκίς.
10. Το 3ο πρακτικό της 08-04-1985 του Συμβουλίου Χωροταξίας, Οικισμού και Περιβάλλοντος νομού Κιλκίς, αποφασίζουμε:
1. Εγκρίνουμε την υφισταμένη κατάσταση των κτισμάτων του Συνοριακού Σταθμού Ευζώνων δια των περιγραμμάτων που δεικνύουν την κάλυψή των, όπως αυτή εμφαίνεται στο συνημμένο τοπογραφικό διάγραμμα, και με τις χρήσεις που αποδίδονται στα κτίρια και στους χώρους, όπως αυτές σημειώνονται στο εν λόγω διάγραμμα.
2. Καθορίζουμε εφεξής τους ακόλουθους όρους δόμησης:
| • | Σύστημα δόμησης: Πανταχόθεν ελεύθερο. |
| • | Συντελεστής δόμησης: 0,50. |
| • | Αριθμός ορόφων πλην πύργου ελέγχου: 2. |
| • | Μέγιστο ύψος κτιρίων: 12 m. |
| • | Μέγιστο ύψος πύργου ελέγχου: 20 m. |
| • | Ελάχιστη απόσταση από τα όρια γηπέδου των κτισμάτων 2.50 m. |
Η απόφαση αυτή να δημοσιευθεί στην Εφημερίδα της Κυβερνήσεως.
Κιλκίς, 24-05-1985
Ο Νομάρχης
