| Συνδεθείτε στην Υπηρεσία Νομοσκόπιο | | | | | Νέοι χρήστες | | Εάν είστε νέος χρήστης, θα πρέπει να δημιουργήσετε ένα ΔΩΡΕΑΝ λογαριασμό προκειμένου να φύγει το παράθυρο αυτό και να αποκτήσετε πλήρη πρόσβαση στην υπηρεσία Νομοσκόπιο. | | Δημιουργία νέου λογαριασμού | | |
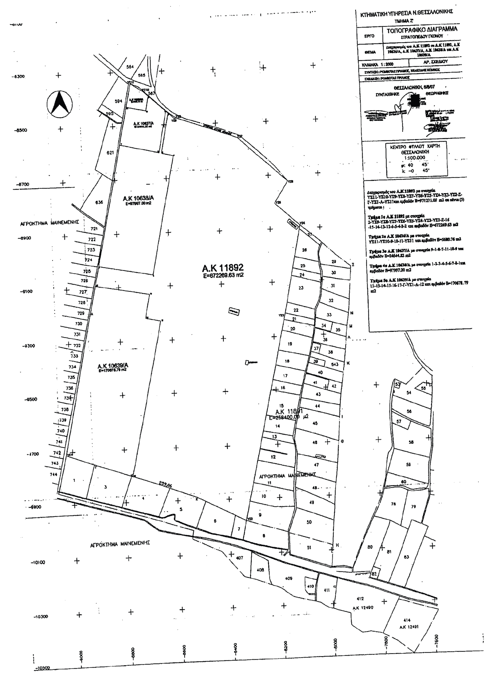
Στο ακίνητο ιδιοκτησίας της ανώνυμης εταιρείας με την επωνυμία ΓΑΙΑΟΣΕ - ΑΝΩΝΥΜΗ ΕΤΑΙΡΕΙΑ ΑΣΤΙΚΩΝ ΑΚΙΝΗΤΩΝ, ΚΤΗΜΑΤΙΚΩΝ, ΟΙΚΟΔΟΜΙΚΩΝ, ΤΟΥΡΙΣΤΙΚΩΝ ΚΑΙ ΣΥΝΑΦΩΝ ΕΠΙΧΕΙΡΗΣΕΩΝ και το διακριτικό τίτλο ΓΑΙΑΟΣΕ ΑΕ, που περιγράφεται στο από Νοέμβριο 2004 τοπογραφικό διάγραμμα κλίμακας 1:2.000 του πολιτικού τοπογράφου μηχανικού Κωνσταντίνου Ξενιού και προσαρτάται σε σμίκρυνση ως Παράρτημα Α' στον παρόντα νόμο, καθώς και στο ακίνητο συνολικής έκτασης 672.269,63 m2, που περιγράφεται ως Τμήμα 1 ΑΚ 11892 στο από 06-08-2007 τοπογραφικό διάγραμμα κλίμακας 1:2.000, του Ζ' Τμήματος της Κτηματικής Υπηρεσίας του Νομού Θεσσαλονίκης και προσαρτάται σε σμίκρυνση ως Παράρτημα Β' στον παρόντα νόμο, ιδιοκτησίας του Υπουργείου Οικονομικών, το οποίο βρίσκεται στο Δήμο Δέλτα, συνορεύει προς βορρά με ασφαλτοστρωμένη οδό που ξεκινά από την Εθνική Οδό Θεσσαλονίκης - Έδεσσας και καταλήγει στην εσωτερική περιφερειακή οδό, νότια, ανατολικά και δυτικά με διάφορες ιδιοκτησίες μικρών γεωτεμαχίων, το οποίο παραχωρήθηκε με το άρθρο 18 του νόμου 3534/2007 (ΦΕΚ 40/Α/2007) προς χρήση στην εταιρεία με την επωνυμία ΓΑΙΑΟΣΕ ΑΕ, ως καθολική διάδοχο της ανώνυμης εταιρείας με την επωνυμία ΕΜΠΟΡΕΥΜΑΤΙΚΑ, ΜΕΤΑΦΟΡΙΚΑ ΚΑΙ ΔΙΑΚΟΜΙΣΤΙΚΑ ΚΕΝΤΡΑ - ΑΝΩΝΥΜΗ ΕΤΑΙΡΕΙΑ ΛΕΙΤΟΥΡΓΙΑΣ, ΕΚΜΕΤΑΛΛΕΥΣΗΣ ΚΑΙ ΔΙΑΧΕΙΡΙΣΗΣ ΕΜΠΟΡΕΥΜΑΤΙΚΩΝ ΜΕΤΑΦΟΡΩΝ και το διακριτικό τίτλο ΕΜΠΟΡΕΥΜΑΤΙΚΑ ΚΕΝΤΡΑ ΑΕ μπορούν να αναπτύσσονται Επιχειρηματικά / Εμπορευματικά Πάρκα Εφοδιαστικής Εθνικής Εμβέλειας κατά τις διατάξεις του προηγούμενου άρθρου.

