| Συνδεθείτε στην Υπηρεσία Νομοσκόπιο | | | | | Νέοι χρήστες | | Εάν είστε νέος χρήστης, θα πρέπει να δημιουργήσετε ένα ΔΩΡΕΑΝ λογαριασμό προκειμένου να φύγει το παράθυρο αυτό και να αποκτήσετε πλήρη πρόσβαση στην υπηρεσία Νομοσκόπιο. | | Δημιουργία νέου λογαριασμού | | |
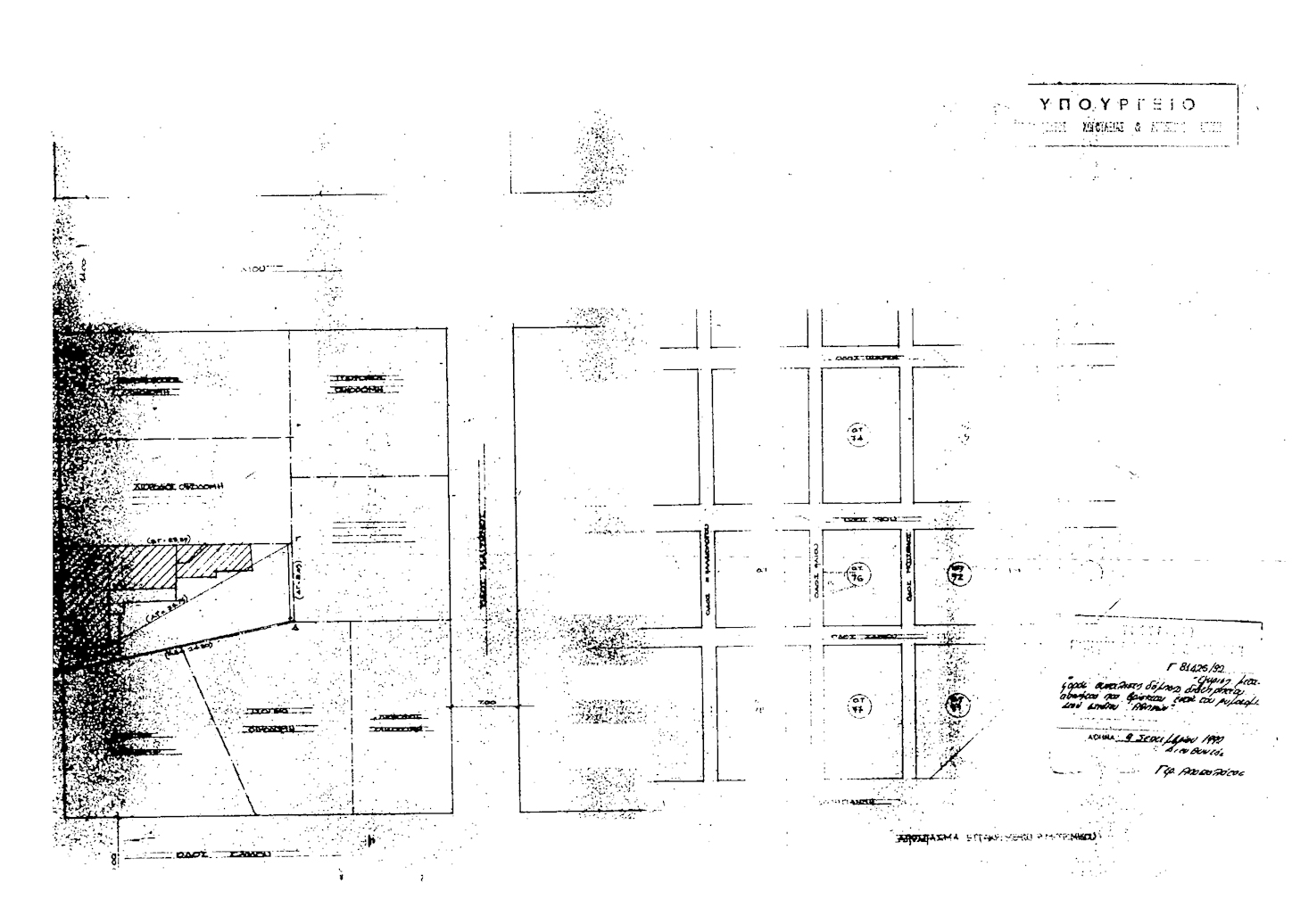
1. Εγκρίνεται η μεταφορά του συντελεστή δόμησης του ακινήτου (βαρυνομένου) που βρίσκεται εντός του ρυμοτομικού σχεδίου Αθηνών επί της οδού Ηλίου υπ' αριθμόν 31 (οικοδομικό τετράγωνο 76) και έχει χαρακτηρισθεί ως διατηρητέο με το από 25-10-1984 προεδρικό διάταγμα (ΦΕΚ 20/Δ/1985) και του οποίου την αποκλειστική κυριότητα έχει η παραπάνω συναινούσα στη μεταφορά, του συντελεστή δόμησης Ιωάννα συζύγου Γεωργίου Αλεξίου το γένος Νικολάου και Σταματικής Τσέλου όπως το βαρυνόμενο ακίνητο φαίνεται με στοιχεία Α, Β, Γ, Δ, Α στο σχετικό πρωτότυπο διάγραμμα σε κλίμακα 1:100 που θεωρήθηκε από τον Προϊστάμενο της Διεύθυνσης Τοπογραφικών Εφαρμογών με την 81425/1992 πράξη του και που αντίτυπό του σε φωτοσμίκρυνση δημοσιεύεται με το παρόν διάταγμα.
2. Τα ειδικότερα στοιχεία του βαρυνομένου ακινήτου και της μεταφοράς του συντελεστή δόμησης είναι τα εξής:
α. Εμβαδόν οικοπέδου: 255,38 m2
β. Ποσοστό κάλυψης: 70%.
γ. Συντελεστής δόμησης της περιοχής βάσεις του οποίου πραγματοποιείται η μεταφορά: 3.6.
δ. Δομήσιμες επιφάνειες που αντιστοιχούν σ' αυτό είναι: 919,37 m2
ε. Δομημένη επιφάνεια: 258,34 m2 (150,11 m2 στο ισόγειο και 108,23 m2 στους ορόφους).
στ. Μεταφερόμενη δομήσιμη επιφάνεια: 661,03 m2 (28.66 m2 από ισόγειο και 632,37 m2 από ορόφους).
