| Συνδεθείτε στην Υπηρεσία Νομοσκόπιο | | | | | Νέοι χρήστες | | Εάν είστε νέος χρήστης, θα πρέπει να δημιουργήσετε ένα ΔΩΡΕΑΝ λογαριασμό προκειμένου να φύγει το παράθυρο αυτό και να αποκτήσετε πλήρη πρόσβαση στην υπηρεσία Νομοσκόπιο. | | Δημιουργία νέου λογαριασμού | | |
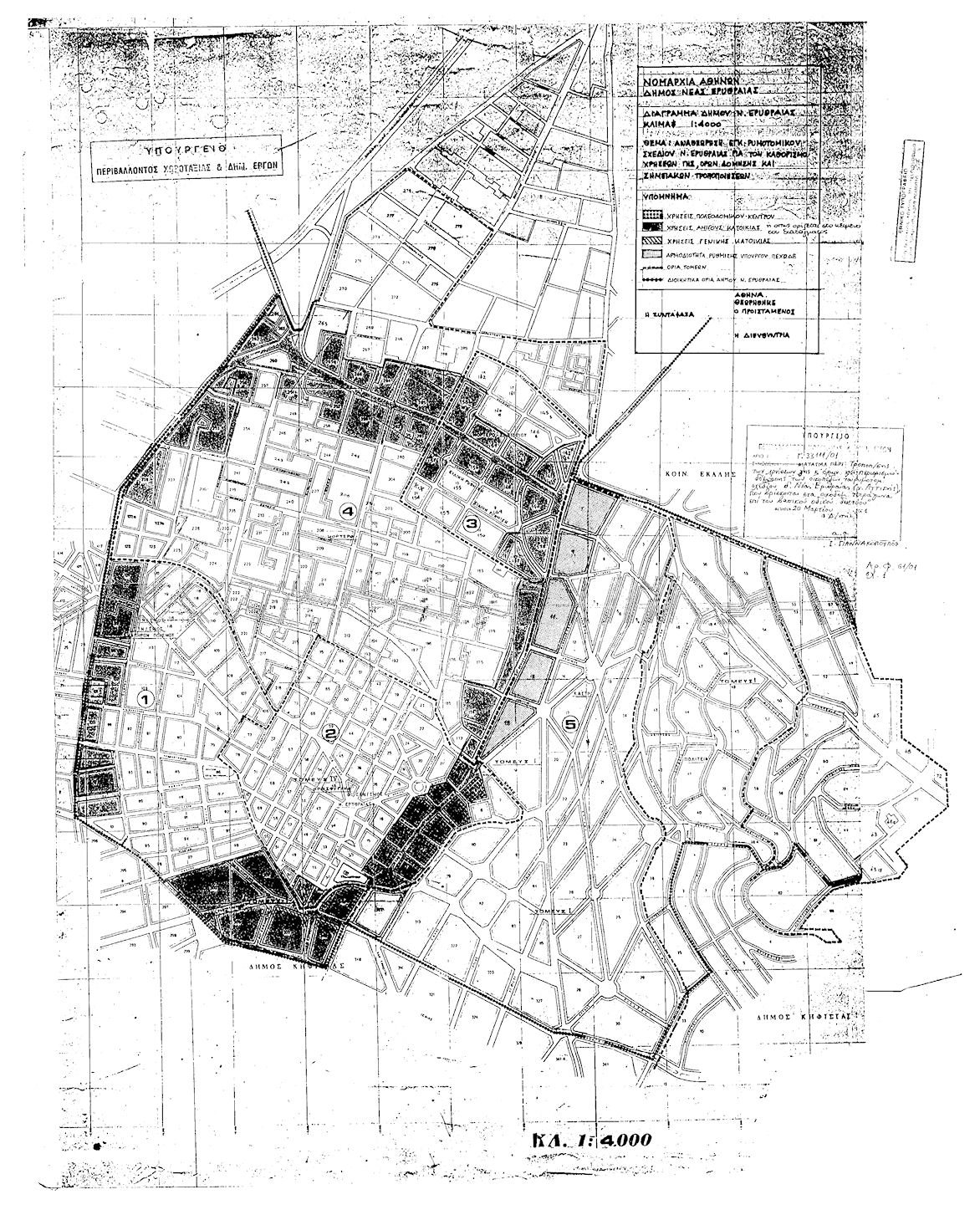
Τροποποιούνται και καθορίζονται οι χρήσεις γης των οικοπέδων του ρυμοτομικού σχεδίου του δήμου Νέας Ερυθραίας (νομού Αττικής), που βρίσκονται στα οικοδομικά τετράγωνα επί του βασικού οδικού δικτύου, όπως στις επόμενες παραγράφους και φαίνονται στο σχετικό χρωματισμένο πρωτότυπο διάγραμμα σε κλίμακα 1:4000 που θεωρήθηκε από τον Προϊστάμενο της Διεύθυνσης Τοπογραφικών Εφαρμογών με την υπ' αριθμόν 33111/2000 πράξη του και που αντίτυπό του σε φωτοσμίκρυνση δημοσιεύεται με το παρόν διάταγμα.
1. Στα οικόπεδα των οικοδομικών τετραγώνων 1, 2, 3, 4, 5, 8, 9, 10, 11, 12, 13, του τομέα IV (Προσφυγικών), 14, 346 καθορίζονται χρήσεις πολεοδομικού κέντρου, όπως προσδιορίζονται από το άρθρο 4 του από 23-02-1987 προεδρικού διατάγματος (ΦΕΚ 166/Δ/1987), εξαιρουμένων των εγκαταστάσεων μέσων μαζικών μεταφορών.
Τα πρατήρια βενζίνης επιτρέπονται μόνο στα κτίρια με χρήση κτίρια στάθμευσης.
2. Στα οικόπεδα που έχουν πρόσωπο στις οδούς Χαριλάου Τρικούπη και Γρηγορίου Ε' και βρίσκονται στα οικοδομικά τετράγωνα 303, 345 και 31 αντίστοιχα, καθορίζονται χρήσεις γενικής κατοικίας, όπως προσδιορίζονται από το άρθρο 3 του ιδίου ως άνω προεδρικού διατάγματος.
3. Οι καθοριζόμενες με τις προηγούμενες παραγράφους χρήσεις γης ισχύουν για τις ιδιοκτησίες, όπως αυτές υφίστανται κατά την ημέρα δημοσίευσης του παρόντος διατάγματος.
4. α. Στα οικόπεδα, που βρίσκονται στα οικοδομικά τετράγωνα 137, 138, 140, 141, 142, 147, 148, 156, 157, 158, 159, 283, 266, 252, 251, 265Α, 262, 256, 253, 238, καθώς και στα οικόπεδα που βρίσκονται στα οικοδομικά τετράγωνα 250, 282, 284 και 285 και δεν έχουν πρόσωπο στην οδό Εθνικής Αντίστασης καθορίζονται χρήσεις αμιγούς κατοικίας, όπως προσδιορίζονται από το άρθρο 2 του από 23-02-1987 προεδρικού διατάγματος (ΦΕΚ 166/Δ/1987) και ειδικότερα κατοικία.
β. Στα οικόπεδα των οικοδομικών τετραγώνων 250, 282, 284 και 285, που έχουν πρόσωπο στην οδό Εθνικής Αντίστασης καθορίζονται επίσης χρήσεις αμιγούς κατοικίας και ειδικότερα:
| • | Εμπορικά καταστήματα που εξυπηρετούν τις καθημερινές ανάγκες των κατοίκων της περιοχής (παντοπωλείο, φαρμακείο, χαρτοπωλείο κ.λ.π.) συνολικής επιφανείας μέχρι 50 m2 ανά ιδιοκτησία. |
5. Στα οικόπεδα, που βρίσκονται στα οικοδομικά τετράγωνα 121, 115, 114, 102, 101, 100, 13, 12, 11, του Τομέως Ι (Εθνικιστών, Αναπήρων Πολέμου), 300, 301, 305, καθώς επίσης και στα οικοδομικά τετράγωνα 303, 345 και 31 εκτός των οικοπέδων της παραγράφου 2 του παρόντος άρθρου, καθορίζονται χρήσεις αμιγούς κατοικίας, όπως προσδιορίζονται από το άρθρο 2 του από 23-02-1987 προεδρικού διατάγματος.
