| Συνδεθείτε στην Υπηρεσία Νομοσκόπιο | | | | | Νέοι χρήστες | | Εάν είστε νέος χρήστης, θα πρέπει να δημιουργήσετε ένα ΔΩΡΕΑΝ λογαριασμό προκειμένου να φύγει το παράθυρο αυτό και να αποκτήσετε πλήρη πρόσβαση στην υπηρεσία Νομοσκόπιο. | | Δημιουργία νέου λογαριασμού | | |
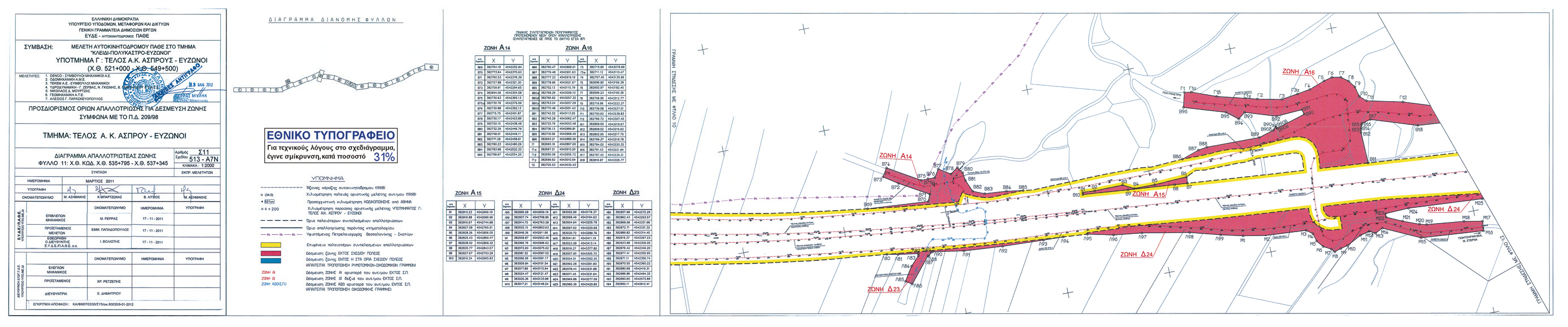
Απόφαση ΚΑ/ΦΜ07ΘΣ00/ΣΥ5/80035/2012: Εφαρμογή των διατάξεων του προεδρικού διατάγματος 209/1998 Λήψη μέτρων για την ασφάλεια της υπεραστικής συγκοινωνίας στο τμήμα του Οδικού Άξονα ΠΑΘΕ Κλειδί - Πολύκαστρο - Εύζωνοι στο τμήμα από ΧΘ 521+000 - ΧΘ 549+500 στα πλαίσια της μελέτης Μελέτη Αυτοκινητόδρομου ΠΑΘΕ στο τμήμα Κλειδί - Πολύκαστρο - Εύζωνοι, Υποτμήμα Γ: Τέλος ανισόπεδου κόμβου Άσπρους - Εύζωνοι (ΧΘ 521+000 - ΧΘ 549+500), (ΦΕΚ 10/ΑΑΠ/2012), 27-01-2012.
Ο Υπουργός Υποδομών, Μεταφορών και Δικτύων
Σύμφωνα με τις διατάξεις:
1. Του προεδρικού διατάγματος 63/2005 (ΦΕΚ 98/Α/2005) Κωδικοποίηση της Νομοθεσίας για την Κυβέρνηση και Κυβερνητικά Όργανα.
2. Του προεδρικού διατάγματος 189/2009 Καθορισμός και ανακατανομή αρμοδιοτήτων Υπουργείων (ΦΕΚ 221/Α/2009).
3. Του προεδρικού διατάγματος [ΠΔ] 69/1988 Οργανισμός Γενικής Γραμματείας Δημοσίων Έργων (ΦΕΚ 28/Α/1988), των τροποποιητικών / συμπληρωματικών του προεδρικών διαταγμάτων [ΠΔ] 340/1990, [ΠΔ] 293/1991, [ΠΔ] 335/1992 και [ΠΔ] 167/1992 και των σχετικών εγκυκλίων εφαρμογής τους.
4. Του προεδρικού διατάγματος 5/2011 (ΦΕΚ 13/Α/2011) Τροποποίηση του προεδρικού διατάγματος [ΠΔ] 102/2000 Σύσταση Ειδικής Υπηρεσίας Δημοσίων Έργων για τη μελέτη και κατασκευή του Αυτοκινητόδρομου Πάτρας -Αθηνών - Θεσσαλονίκης - Ευζώνων (ΕΥΔΕ - ΑΥΤΟΚΙΝΗΤΟΔΡΟΜΟΣ ΠΑΘΕ), (ΦΕΚ 99/Α/2000), όπως τροποποιήθηκε με το προεδρικό διάταγμα 71/2001 (ΦΕΚ 63/Α/2001) και προεδρικό διάταγμα 178/2008 (ΦΕΚ 244/Α/2008).
5. Του προεδρικού διατάγματος [ΠΔ] 71/1993 (ΦΕΚ 30/Α/1993) Καθορισμός αρμοδιοτήτων που διατηρούνται από τον Υπουργό και τις περιφερειακές αρχές ή όργανα διανομαρχιακού επιπέδου της Γενικής Γραμματείας Δημοσίων Έργων του Υπουργείου Περιβάλλοντος, Χωροταξίας και Δημοσίων Έργων.
6. Της εγκυκλίου 2/1991 με αριθμό πρωτοκόλλου Δ16Α/010/ΦΔ/09-01-1991, με την οποία κοινοποιήθηκε η Κοινή απόφαση του Υπουργού Προεδρίας και του Αναπληρωτή Υπουργού Περιβάλλοντος, Χωροταξίας και Δημοσίων Έργων με αριθμό Δ16Α/04/773/29-11-1990 Περί εξαίρεσης διοικητικών πράξεων ή εγγράφων από τον κανόνα των τριών υπογραφών.
7. Της παραγράφου 5 του άρθρου 1 του νόμου 2503/1997 με την οποία διατηρούνται από τον Υπουργό Περιβάλλοντος, Χωροταξίας και Δημοσίων Έργων, οι αρμοδιότητες σχετικά με τα έργα των Ειδικών Υπηρεσιών Δημοσίων Έργων (ΕΥΔΕ).
8. Του νόμου 3316/2005 Περί ανάθεσης και εκτέλεσης δημοσίων συμβάσεων και εκπόνησης μελετών και παροχής συναφών υπηρεσιών και άλλες διατάξεις.
9. Του προεδρικού διατάγματος 696/1974 Περί αμοιβών μηχανικών σε ότι αφορά τις προδιαγραφές.
10. Της υπ' αριθμόν Δ17Γ/07/45/ΦΝ 439.4/13-03-2007 (ΦΕΚ 447/Β/2007) απόφασης Υπουργού Περιβάλλοντος, Χωροταξίας και Δημοσίων Έργων Περί αποφαινομένων οργάνων του Υπουργείου Περιβάλλοντος, Χωροταξίας και Δημοσίων Έργων και των εποπτευομένων Νομικών Προσώπων σε συμβάσεις του νόμου 3316/2005.
11. Του από 09-08-1955 βασιλικού διατάγματος Περί καθορισμού των Εθνικών Οδών κατά τις διατάξεις του νόμου 3155/1955 και της υπ' αριθμόν Γ/25871/1963 απόφασης του Υπουργού Δημοσίων Έργων Περί αριθμήσεως των Εθνικών Οδών.
12. Της Εγκυκλίου 18/1999 με αριθμό ΔΜΕΟ/ε/ο/516/1999 Περί χαρακτηρισμού οδών ως Εθνικών ή Επαρχιακών σύμφωνα με το άρθρο 25, παράγραφος 3 του νόμου 1418/1984.
13. Της υπ' αριθμόν Δ1Α/ο/1932/29-07-1988 απόφασης Υπουργού Περιβάλλοντος, Χωροταξίας και Δημοσίων Έργων Περί καθορισμού των έργων οδοποιίας επί Εθνικών Οδών ως έργων Εθνικού Επιπέδου και των αρμοδιοτήτων για την εποπτεία, έλεγχο, διοίκηση και έγκριση των σχετικών μελετών.
14. Της υπ' αριθμόν οίκοθεν ΔΜΕΟ/ε/1308/15-12-1995 απόφασης Υπουργού Περί κατάταξης Εθνικών Οδών Περιφερειών Αττικής, Στερεάς Ελλάδας, Θεσσαλίας, Ηπείρου, Μακεδονίας και Θράκης σε Βασικό (Πρωτεύον), Δευτερεύον, και Τριτεύον Εθνικό Οδικό Δίκτυο.
15. Της υπ' αριθμόν Δ1Α/ο/14/714/08-12-1997 απόφασης Υπουργού Περιβάλλοντος, Χωροταξίας και Δημοσίων Έργων Περί χαρακτηρισμού έργων οδοποιίας ως Εθνικού χαρακτήρα.
16. Της υπ' αριθμόν ΔΜΕΟ/ο/9244/ε/1242/11-12-2007 απόφασης Υπουργού Περιβάλλοντος, Χωροταξίας και Δημοσίων Έργων για τον Χαρακτηρισμό των κάτωθι οδικών τμημάτων: α) του παράπλευρου οδικού δικτύου των Εθνικών Οδών της Χώρας και β) του παράπλευρου οδικού δικτύου των Επαρχιακών Οδών της Χώρας.
17. Την με αριθμό Δ16Α/02/803/ΑΦ/24-11-2010 απόφαση Ανάθεσης καθηκόντων Προϊσταμένου της Γενικής Διεύθυνσης Συγκοινωνιακών Έργων.
18. Του προεδρικού διατάγματος 209/1998 (ΦΕΚ 169/Α/1998) Λήψη μέτρων για την ασφάλεια της υπεραστικής συγκοινωνίας, όπως τροποποιήθηκε και ισχύει με το προεδρικό διάταγμα 221/1999 (ΦΕΚ 188/Α/1999).
Αφού λάβαμε υπόψη:
1. Ότι στη ΣΑΜ071/3 (τροποποίηση 0/04-08-2011) περιλαμβάνεται το ενάριθμο έργο 2006ΣΜ07130003 Μελέτη αυτοκινητόδρομου ΠΑΘΕ στο τμήμα: Κλειδί - Πολύκαστρο - Εύζωνοι προϋπολογισμού 10.350.000,00 €.
2. Την υπ' αριθμόν ΚΑ/ΦΜ07ΘΣ00/ΠΡ1/14253/16-09-2008 απόφαση του Υπουργού Περιβάλλοντος, Χωροταξίας και Δημοσίων Έργων, με την οποία εγκρίθηκε το αποτέλεσμα του Δημόσιου Διαγωνισμού με Ανοικτή διαδικασία, για την επιλογή αναδόχου εκπόνησης της μελέτης: Μελέτη αυτοκινητόδρομου ΠΑΘΕ στο τμήμα Κλειδί - Πολύκαστρο - Εύζωνοι, Υποτμήμα Γ: Τέλος ανισόπεδου κόμβου Άσπρους - Εύζωνοι (ΧΘ 521+000 - ΧΘ 549+500), σε Σύμπραξη Γραφείων Μελετών.
3. Την απόφαση Υπουργού Περιβάλλοντος, Χωροταξίας και Δημοσίων Έργων με την με αριθμό ΚΑ/ΦΜ/ΜΕ2/ΟΙΚ/75228/21-05-2002 (ΦΕΚ 666/Β/2002) Περί καθορισμού του Οδικού Άξονα Πάτρα - Αθήνα - Θεσσαλονίκη - Εύζωνοι κατά τμήματα ως Αυτοκινητόδρομου και Οδού Ταχείας Κυκλοφορίας, σύμφωνα με τις διατάξεις του Κώδικα Οδικής Κυκλοφορίας (νόμου [Ν] 2696/1999 (ΦΕΚ 57/Α/1999)), Κωδικοποίηση και Αρίθμηση Αυτοκινητοδρόμου Πάτρα - Αθήνα - Θεσσαλονίκη - Εύζωνοι.
4. Την υπ' αριθμόν 197584/24-03-2011 (ΑΔΑ 4Α1Ζ0-Ε) κοινή υπουργική απόφαση της Ειδικής Υπηρεσίας Περιβάλλοντος των Υπουργών Περιβάλλοντος, Ενέργειας και Κλιματικής Αλλαγής - Υποδομών, Μεταφορών και Δικτύων - Αγροτικής Ανάπτυξης και Τροφίμων - Πολιτισμού και Τουρισμού, για την έγκριση των περιβαλλοντικών όρων, για το έργο των υποτμημάτων Α', Β' και Γ' του τμήματος Κλειδί - Πολύκαστρο - Εύζωνοι του αυτοκινητόδρομου ΠΑΘΕ.
5. Την υπ' αριθμόν οίκοθεν 203971 απόφαση (ΑΔΑ 45ΠΝ0-9ΕΓ) του Υπουργού Περιβάλλοντος, Ενέργειας και Κλιματικής Αλλαγής με την οποία τροποποιείται η 197584/24-03-2011 κοινή υπουργική απόφαση, με την οποία εγκρίθηκαν οι περιβαλλοντικοί όροι για την κατασκευή και λειτουργία, του έργου των υποτμημάτων Α', Β' και Γ' του τμήματος Κλειδί - Πολύκαστρο - Εύζωνοι του αυτοκινητόδρομου ΠΑΘΕ.
6. Την υπ' αριθμόν οίκοθεν ΚΑ/ΦΜ07ΘΣ00/ΜΕ2/54026/29-11-2010 απόφαση, με την οποία εγκρίθηκαν: 1) η οριστική μελέτη οδοποιίας και κόμβων επί συνταχθέντος Τοπογραφικού υποβάθρου σε κλίμακα 1:500, στα υποτμήματα: α) Τέλος ανισόπεδου κόμβου Άσπρους - Πολύκαστρο β) Πολύκαστρο - Εύζωνοι και με βελτίωση της Υφιστάμενης αρτηρίας 2) η οριστική μελέτη αποχέτευσης - αποστράγγισης του συνόλου των υδραυλικών έργων, 3) η οριστική μελέτη σήμανσης (οριζόντιας και κατακόρυφης) και ασφάλισης, του έργου του θέματος. Και επειδή:
1. Η οριστική μελέτη οδοποιίας, που περιλαμβάνει την ανακατασκευή της υφιστάμενης Εθνικής Οδού, την κατασκευή του δεξιού κλάδου του αυτοκινητόδρομου όπου απαιτείται, με διαχωριστική νησίδα με τον υφιστάμενο αριστερό κλάδο, την κατασκευή νέων κυκλοφοριακών κόμβων, την συμπλήρωση του παράπλευρου και εγκάρσιου οδικού δικτύου και λοιπών απαιτούμενων έργων, συντάχθηκε επί πρόσφατου τοπογραφικού υποβάθρου.
2. Με την έγκριση της οριστικής μελέτης (με καθορισμένο τον άξονα και τη ζώνη διέλευσης του έργου), επιτρέπεται η εφαρμογή των διατάξεων του προεδρικού διατάγματος 209/1998 Λήψη μέτρων για την ασφάλεια της υπεραστικής συγκοινωνίας.
3. Το τμήμα του Αυτοκινητόδρομου ΠΑΘΕ στο τμήμα Κλειδί - Πολύκαστρο - Εύζωνοι, Υποτμήμα Γ: Τέλος ανισόπεδου κόμβου Άσπρους - Εύζωνοι (ΧΘ 521+000 - ΧΘ 549+500), πρόκειται να προωθηθεί για κατασκευή, αποφασίζουμε:
Εγκρίνουμε την εφαρμογή των διατάξεων του άρθρου 2 του προεδρικού διατάγματος 209/1998 Λήψη μέτρων για την ασφάλεια της υπεραστικής συγκοινωνίας, στο τμήμα Κλειδί - Πολύκαστρο - Εύζωνοι του Οδικού Άξονα ΠΑΘΕ από Τέλος ανισόπεδου κόμβου Άσπρους - Εύζωνοι (ΧΘ 521+000 - ΧΘ 549+500), στα πλαίσια της σύμβασης Μελέτη Αυτοκινητόδρομου ΠΑΘΕ στο τμήμα Κλειδί - Πολύκαστρο - Εύζωνοι, Υποτμήμα Γ: Τέλος ανισόπεδου κόμβου Άσπρους - Εύζωνοι (ΧΘ 521+000 - ΧΘ 549+500) που περιλαμβάνει τον αυτοκινητόδρομο, το παράπλευρο και εγκάρσιο οδικό δίκτυο, τους κυκλοφοριακούς κόμβους και λοιπά απαιτούμενα έργα, όπως διαμορφώνεται σύμφωνα με την εγκεκριμένη οριστική μελέτη οδοποιίας.
Η απόφαση συνοδεύεται από Σχέδια που αναγράφονται στο συνημμένο Πίνακα.














v







Η απόφαση αυτή, από τις διατάξεις της οποίας δεν προκαλείται δαπάνη σε βάρος του κρατικού προϋπολογισμού.
Η απόφαση αυτή να δημοσιευθεί στην Εφημερίδα της Κυβερνήσεως.
Αθήνα, 09-01-2012
Ο Υπουργός