| Συνδεθείτε στην Υπηρεσία Νομοσκόπιο | | | | | Νέοι χρήστες | | Εάν είστε νέος χρήστης, θα πρέπει να δημιουργήσετε ένα ΔΩΡΕΑΝ λογαριασμό προκειμένου να φύγει το παράθυρο αυτό και να αποκτήσετε πλήρη πρόσβαση στην υπηρεσία Νομοσκόπιο. | | Δημιουργία νέου λογαριασμού | | |
Απόφαση 822/2016: Σημειακή τροποποίηση του Ρυμοτομικού Σχεδίου οικισμού Ιαλυσού Δήμου Ρόδου, στο Οικοδομικό Τετράγωνο 65, (ΦΕΚ 239/ΑΑΠ/2016), 08-11-2016.
Ο Αντιπεριφερειάρχης Νοτίου Αιγαίου
Έχοντας υπόψη:
1. Το από [ΒΔ] 22-01-1971 βασιλικό διάταγμα (ΦΕΚ 34/Δ/1971) με θέμα Περί εγκρίσεως του ρυμοτομικού σχεδίου Τριάντα (Ρόδου) και καθορισμού των όρων και περιορισμών Δομήσεως των οικοπέδων αυτού.
2. Το από [ΒΔ] 10-01-1972 βασιλικό διάταγμα (ΦΕΚ 7/Δ/1972) με θέμα Περί επεκτάσεως του ρυμοτομικού σχεδίου Τριάντα (Ρόδου) και καθορισμού των όρων και περιορισμών δόμησης των οικοπέδων αυτού.
3. Το από [ΒΔ] 19-05-1973 βασιλικό διάταγμα (ΦΕΚ 154/Δ/1973) με θέμα Περί τροποποιήσεως του ρυμοτομικού σχεδίου Τριάντα (Ρόδου).
4. Την υπ' αριθμόν 73932/4915/1994 απόφαση Υπουργείου Περιβάλλοντος, Χωροταξίας και Δημοσίων Έργων (ΦΕΚ 1052/Δ/1994), με θέμα Έγκριση Γενικού Πολεοδομικού Σχεδίου του οικισμού Ιαλυσού της νήσου Ρόδου (νομού Δωδεκανήσου).
5. Το από 08-08-1995 προεδρικό διάταγμα (ΦΕΚ 655/Δ/1995) με θέμα Αναθεώρηση του ρυμοτομικού σχεδίου του Δήμου Ιαλυσού νήσου Ρόδου (νομού Δωδεκανήσου) και καθορισμός χρήσεων γης και όρων και περιορισμών δόμησης των οικοπέδων αυτού.
6. Την υπ' αριθμόν οίκοθεν 1125/2006 απόφαση Γενικού Γραμματέα Περιφέρειας (ΦΕΚ 17/ΑΑΠ/2006) Έγκριση σημειακών τροποποιήσεων του Σχεδίου Πόλεως Ιαλυσού.
7. Την υπ' αριθμόν 1469/26-01-2016 εισήγηση του Τμήματος Μελετών και Εφαρμογών της Διεύθυνσης Πολεοδομικού Σχεδιασμού, Δήμου Ρόδου και το τοπογραφικό διάγραμμα, κλίμακας 1:1000 που τη συνοδεύει.
8. Την υπ' αριθμόν 38/2016 απόφαση του Συμβουλίου Δημοτικής Κοινότητας Ιαλυσού.
9. Την υπ' αριθμόν 596/2016 απόφαση Δημοτικού Συμβουλίου Ρόδου.
10. Το από 17-07-1923 νομοθετικό διάταγμα, περί Σχεδίων Πόλεων κ.λ.π. άρθρο 29.
11. Το νόμο 1337/1983, (ΦΕΚ 33/Α/1983) όπως ισχύει σήμερα.
12. Το νόμο 1577/1985 (ΦΕΚ 210/Α/1985) Γενικός Οικοδομικός Κανονισμός για όσες διατάξεις του εξακολουθούν να ισχύουν (υπό την έννοια ότι δεν έρχονται σε αντίθεση με τον Νέο Οικοδομικό Κανονισμό).
13. Το από 23-02-1987 προεδρικό διάταγμα (ΦΕΚ 166/Δ/1987), Κατηγορίες και περιεχόμενο χρήσεων γης.
14. Την υπ' αριθμόν 43511/161/1988 εγκύκλιος 55/1988 Οδηγίες και προδιαγραφές για τροποποιήσεις, επεκτάσεις, ρυμοτομικών σχεδίων.
15. Το νόμο 2508/1997 (ΦΕΚ 124/Α/1997) Βιώσιμη οικιστική ανάπτυξη των πόλεων και οικισμών της χώρας και άλλες διατάξεις.
16. Τις διατάξεις του Κώδικα Βασικής Πολεοδομικής Νομοθεσίας (ΦΕΚ 580/Δ/1999) άρθρο 152, κεφάλαιο Ζ παράγραφος 10.
17. Το νόμο 2831/2000 (ΦΕΚ 140/A/2000) Τροποποίηση των διατάξεων του νόμου 1577/1985 Γενικός Οικοδομικός Κανονισμός και άλλες πολεοδομικές διατάξεις (άρθρα 27 και 29).
18. Την υπ' αριθμόν 32737/869784/2000 εγκύκλιος 84/2000 του Υπουργείου Περιβάλλοντος, Χωροταξίας και Δημοσίων Έργων.
19. Την υπ' αριθμόν 18/2003 εγκύκλιο, και την εγκύκλιο 6/2006.
20. Το νόμο 3937/2011 (ΦΕΚ 60/Α/2011), Διατήρηση της Βιοποικιλότητας και άλλες Διατάξεις.
21. Το νόμο 4067/2012 (ΦΕΚ 79/Α/2012) Νέος Οικοδομικός Κανονισμός.
22. Το νόμο 4269/2014 (ΦΕΚ 142/Α/2014) Χωροταξική και Πολεοδομική Μεταρρύθμιση - Βιώσιμη Ανάπτυξη.
23. Το νόμο 4315/2014 (ΦΕΚ 269/Α/2014) Πράξεις εισφοράς σε γη και σε χρήμα - Ρυμοτομικές απαλλοτριώσεις και άλλες διατάξεις.
24. Το νόμο 3852/2010, (ΦΕΚ 87/Α/2010), Νέα Αρχιτεκτονική της Αυτοδιοίκησης και της Αποκεντρωμένης Διοίκησης - Πρόγραμμα Καλλικράτης.
25. Το προεδρικό διάταγμα 130/2010 (ΦΕΚ 223/Α/2010) Οργανισμός Περιφέρειας Νοτίου Αιγαίου.
26. Την υπ' αριθμόν 49947/2015 (ΦΕΚ 1666/Β/2015) απόφαση Γενικού Γραμματέα Αποκεντρωμένης Διοίκησης Αιγαίου Τροποποίηση του Οργανισμού Εσωτερικής Υπηρεσίας της Περιφέρειας Νοτίου Αιγαίου.
27. Την εγκύκλιο 10/2012 ΥΠΕΚΑ και το υπ' αριθμόν 4289/2014 έγγραφο ΥΠΕΚΑ περί Διευκρινίσεων σχετικά με την Εγκύκλιο 10/12 της Διεύθυνσης Πολεοδομικού Σχεδιασμού του Υπουργείου Περιβάλλοντος, Ενέργειας και Κλιματικής Αλλαγής που αφορά στις αρμοδιότητες των Συμβουλίων Πολεοδομικών Θεμάτων και Αμφισβητήσεων.
28. Την υπ' αριθμόν 700/27-09-2016 εισήγηση της Περιφέρειας Νοτίου Αιγαίου Διεύθυνση Περιβάλλοντος και Χωρικού Σχεδιασμού Δωδεκανήσου προς Συμβούλιο Πολεοδομικών Θεμάτων και Αμφισβητήσεων Δωδεκανήσου.
29. Την ομόφωνη εγκριτική απόφαση του Συμβουλίου Πολεοδομικών Θεμάτων και Αμφισβητήσεων Δωδεκανήσου σύμφωνα με το πρακτικό της 8ης Συνεδρίασης/29-09-2016/πράξη 23η.
30. Την υπ' αριθμόν 99942/8141/2015 (ΦΕΚ 1854/Β/2015) απόφαση Περιφερειάρχη Νοτίου Αιγαίου Μεταβίβαση αρμοδιοτήτων σε Αντιπεριφερειάρχες, Περιφερειακούς Συμβούλους και στον Εκτελεστικό Γραμματέα της Περιφέρειας Νοτίου Αιγαίου.
31. Το γεγονός ότι από τις διατάξεις της παρούσας δεν προκαλείται δαπάνη εις βάρος του οικείου οργανισμού τοπικής αυτοδιοίκησης, αποφασίζουμε:
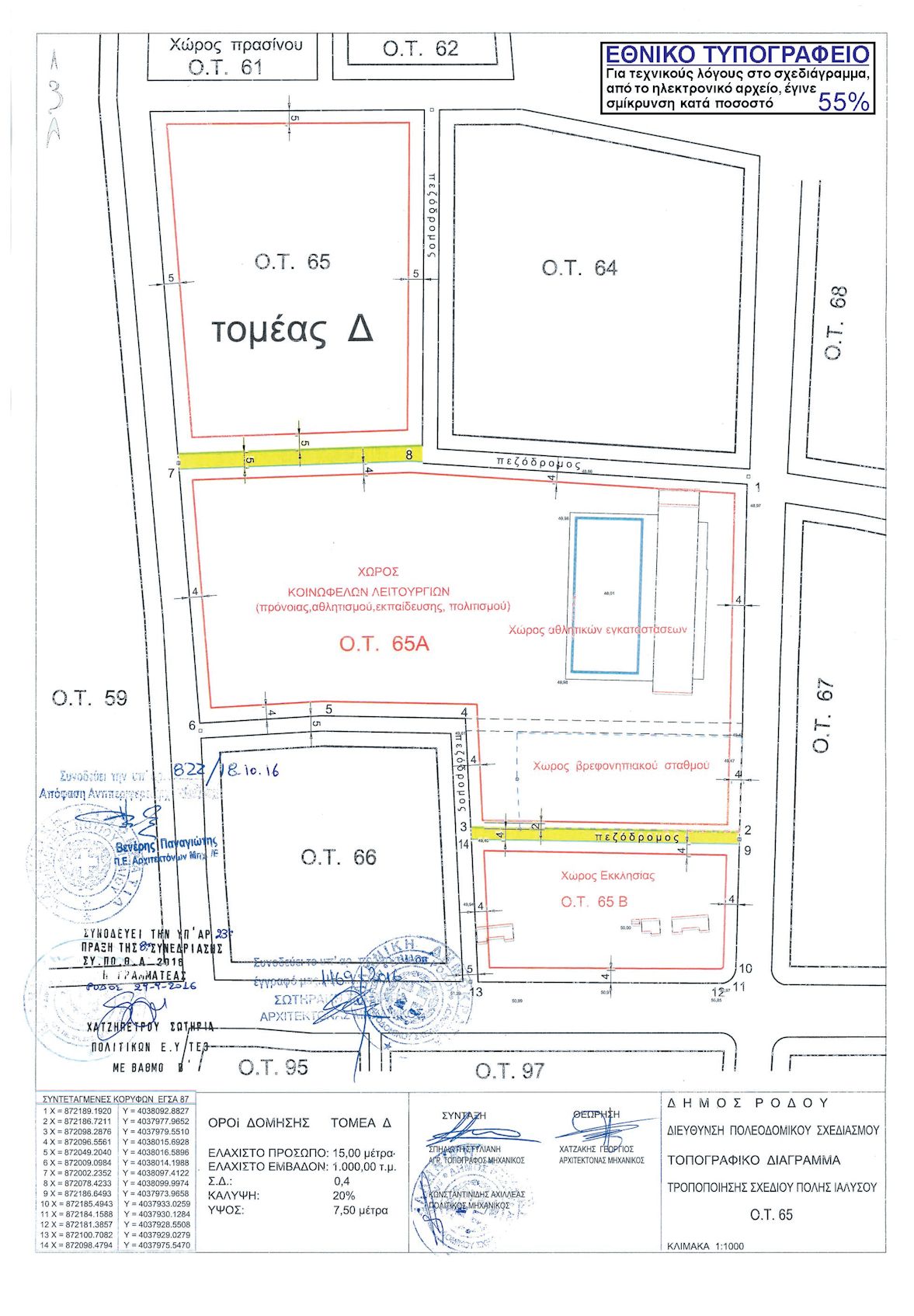
Την τροποποίηση του οικοδομικού τετραγώνου 65 του ρυμοτομικού σχεδίου Ιαλυσού με τη δημιουργία τριών νέων οικοδομικών τετραγώνων (65, 65Α και 65Β), τη δημιουργία πεζοδρόμων και την επιβολή προκηπίων όπως ακριβώς φαίνονται στο συνημμένο διάγραμμα σε κλίμακα 1:1000.
Όροι δόμησης
1. Οικοδομικό τετράγωνο ΟΤ 65
2. Οικοδομικό τετράγωνο ΟΤ 65Α
| • | Χρήση Κοινωφελών λειτουργιών (πρόνοιας, αθλητισμού, εκπαίδευσης, πολιτισμού) |
Ειδικότερα στο χώρο που προορίζεται για ανέγερση βρεφονηπιακού σταθμού ισχύουν οι κάτωθι όροι δόμησης.
Οικοδομικό τετράγωνο ΟΤ 65Α
| • | Όροφοι 3 με την προϋπόθεση ότι η επιφάνεια του τρίτου ορόφου θα είναι μικρότερη των 50 m2 |
3. Οικοδομικό τετράγωνο ΟΤ 65Β
| • | Χρήση Χώρος για ανέγερση Εκκλησίας. |
Κατά τα λοιπά ισχύουν τα οριζόμενα στο από 08-08-1995 προεδρικό διάταγμα (ΦΕΚ 655/Δ/1995) Αναθεώρηση του ρυμοτομικού σχεδίου του Δήμου Ιαλυσού νήσου Ρόδου (νομού Δωδεκανήσου) και καθορισμός χρήσεων γης και όρων και περιορισμών δόμησης των οικοπέδων αυτού.

Η απόφαση αυτή, με το σχεδιάγραμμα σε κλίμακα 1:1000 που τη συνοδεύει και αποτελεί αναπόσπαστο μέρος της, να δημοσιευθεί στην Εφημερίδα της Κυβερνήσεως.
Ρόδος, 18-10-2016
Ο Αντιπεριφερειάρχης