| Συνδεθείτε στην Υπηρεσία Νομοσκόπιο | | | | | Νέοι χρήστες | | Εάν είστε νέος χρήστης, θα πρέπει να δημιουργήσετε ένα ΔΩΡΕΑΝ λογαριασμό προκειμένου να φύγει το παράθυρο αυτό και να αποκτήσετε πλήρη πρόσβαση στην υπηρεσία Νομοσκόπιο. | | Δημιουργία νέου λογαριασμού | | |
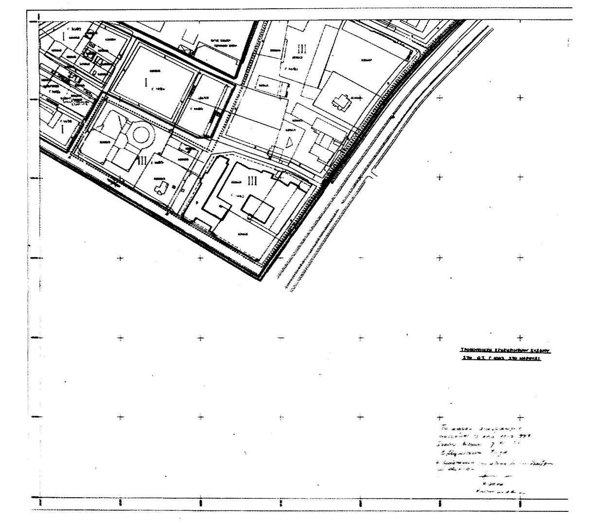
1. Εγκρίνεται η τροποποίηση του εγκεκριμένου ρυμοτομικού σχεδίου Αμαρουσίου στο Οικοδομικό Τετράγωνο Γ1082, με τον καθορισμό χώρων για την ανέγερση κτιρίου του Ολυμπιακού Κέντρου Ραδιοτηλεόρασης (IBC - International Broadcasting Center) και κτιρίου εκθέσεων της ΗΕLΕΧΡΟ, στα οικόπεδα Πετζετάκη και Helexpo, με την κατάργηση της χρήσης πεζοδρόμου μεταξύ του χώρου του Ολυμπιακού Αθλητικού Κέντρου Αθηνών και του Οικοδομικού Τετραγώνου Γ1082 κατά το τμήμα που αντιστοιχεί στο Οικοδομικό Τετράγωνο Γ1082, καθώς και με την κατάργηση των εγκεκριμένων προκηπίων σε όλες τις πλευρές που έχει πρόσωπο το Οικοδομικό Τετράγωνο Γ1082, με εξαίρεση την πλευρά επί της οδού Κηφισίας, όπως οι ρυθμίσεις αυτές απεικονίζονται στο τοπογραφικό διάγραμμα σε κλίμακα 1:1000, του οποίου αντίτυπο σε φωτοσμίκρυνση δημοσιεύεται με το νόμο αυτόν στην Εφημερίδα της Κυβερνήσεως.

2. Οι όροι και περιορισμοί δόμησης του παραπάνω οικοδομικού τετραγώνου καθορίζονται ως εξής:
α. Κάλυψη: Καθορίζεται περίγραμμα κτιρίου, όπως φαίνεται με κόκκινη γραμμή στο συνημμένο διάγραμμα.
β. Συντελεστής δόμησης: 3,00.
γ. Ύψος κτιρίου: Κατά Γενικό Οικοδομικό Κανονισμό
δ. Για την ανέγερση των κτιρίων δεν έχουν εφαρμογή οι διατάξεις της παραγράφου 8 του άρθρου 9 του νόμου 1577/1985 (Γενικός Οικοδομικός Κανονισμός).
Οι πάσης φύσεως οικοδομικές άδειες για την κατασκευή, προσθήκη, επέκταση, μετασκευή, επισκευή και εκσυγχρονισμό των κτιριακών εγκαταστάσεων του παρόντος εκδίδονται από τη Γενική Γραμματεία Αθλητισμού, σύμφωνα με όσα προβλέπονται στις περιπτώσεις β', γ' και δ' της παραγράφου 2 του άρθρου 5 του νόμου αυτού, όπως εκάστοτε ισχύουν.
3. Στους παραπάνω χώρους μετά την τέλεση των Ολυμπιακών Αγώνων, πέραν των ανωτέρω χρήσεων, καθορίζεται και η χρήση εγκαταστάσεων εξυπηρέτησης των υπηρεσιών της Γενικής Γραμματείας Αθλητισμού.
Όπου στο άρθρο αυτό αναφέρεται το Ολυμπιακό Κέντρο Ραδιοτηλεόρασης (IBC - International Broadcasting Center) νοείται (και) το Ολυμπιακό Κέντρο Τύπου (MPC - Main Press Center).
ΣΗΜΕΙΩΣΗ: Η παράγραφος 3 τίθεται όπως τροποποιήθηκε με την παράγραφο 8 του άρθρου 4 του νόμου 2819/2000 (ΦΕΚ 84/Α/2000).
|