| Συνδεθείτε στην Υπηρεσία Νομοσκόπιο | | | | | Νέοι χρήστες | | Εάν είστε νέος χρήστης, θα πρέπει να δημιουργήσετε ένα ΔΩΡΕΑΝ λογαριασμό προκειμένου να φύγει το παράθυρο αυτό και να αποκτήσετε πλήρη πρόσβαση στην υπηρεσία Νομοσκόπιο. | | Δημιουργία νέου λογαριασμού | | |
Απόφαση 206184/4310/2020: Τροποποίηση του εγκεκριμένου ρυμοτομικού σχεδίου Καρδαμιτσίων Δήμου Ιωαννιτών στα οικοδομικά τετράγωνα 64, 64Α και 70, (ΦΕΚ 11/Δ/2020), 27-01-2020.
Ο Περιφερειάρχης Ηπείρου
Έχοντας υπόψη
1. Τις διατάξεις των άρθρων 152 (παράγραφοι 1, 2, 6 και 10), 154, 160 του Κώδικα Βασικής Πολεοδομικής Νομοθεσίας, που κυρώθηκε με το άρθρο μόνο του από 14-07-1999 προεδρικού διατάγματος (ΦΕΚ 580/Δ/1999).
2. Τις διατάξεις του άρθρου 29 του νόμου 2831/2000 (ΦΕΚ 140/Α/2000), όπως αντικαταστάθηκαν από το άρθρο 10 του νόμου 3044/2002 (ΦΕΚ 197/Α/2002).
3. Τις διατάξεις του άρθρου 31 του νόμου 4067/2012 Νέος Οικοδομικός Κανονισμός (ΦΕΚ 79/Α/2012).
4. Τις διατάξεις των άρθρων 30 και 31 του νόμου 4030/2011 Νέος τρόπος έκδοσης αδειών δόμησης, ελέγχου κατασκευών και λοιπές διατάξεις (ΦΕΚ 249/Α/2011).
5. Τις διατάξεις του νόμου 3852/2010 για τη Νέα Αρχιτεκτονική της Αυτοδιοίκησης και της Αποκεντρωμένης Διοίκησης - Πρόγραμμα Καλλικράτης (ΦΕΚ 87/Α/2010), συγκεκριμένα το άρθρο 186, παράγραφος ΣΤ, στοιχείο 39.
6. Το προεδρικό διάταγμα 140/2010 (ΦΕΚ 233/Α/2010) Οργανισμός της Περιφέρειας Ηπείρου.
7. Τη με αριθμό 623/1989 (ΦΕΚ 598/Δ/1989) απόφαση Νομάρχη Ιωαννίνων με την οποία εγκρίθηκε το Ρυμοτομικό Σχέδιο Καρδαμιτσίων όπως τροποποιήθηκε με την υπ' αριθμόν 116/26-10-1999 απόφαση Γενικού Γραμματέα Περιφέρειας Ηπείρου (ΦΕΚ 902/Δ/1999).
8. Την υπ' αριθμόν οίκοθεν 3563/2006 απόφαση Νομάρχη Ιωαννίνων (ΦΕΚ 326/Δ/2006) με την οποία έγινε η συνένωση των χώρων με το χαρακτηρισμό ΠΑΡΚΙΝΓΚ-70 και ΠΑΡΚΙΝΓΚ 64Δ και την αλλαγή της χρήσης των από πάρκινγκ σε χώρο ΕΚΠΑΙΔΕΥΣΗΣ.
9. Την υπ' αριθμόν 154872/3316 απόφαση Περιφερειάρχη Ηπείρου (ΦΕΚ 680/Δ/2019) περί τροποποίησης του εγκεκριμένου ρυμοτομικού σχεδίου Ιωαννίνων, περιοχής Καρδαμιτσίων στο οικοδομικό τετράγωνο 64.
10. Τα κτηματογραφικά διαγράμματα, τα διαγράμματα εφαρμογής και τους πίνακες εφαρμογής που συνοδεύουν την υπ' αριθμόν 4/2007 πράξη εφαρμογής όπως αυτά συμπληρώθηκαν μετά την επεξεργασία των δηλώσεων ιδιοκτησίας.
11. Την υπ' αριθμόν 8222/30-08-2007 απόφαση Νομάρχη με την οποία κυρώθηκε η υπ' αριθμόν 4/2007 πράξη εφαρμογής Καρδαμιτσίων.
12. Το γεγονός ότι η πράξη μεταγράφηκε στο υποθηκοφυλακείο Ιωαννίνων στον τόμο 2065 με αύξοντα αριθμό 23/16-01-2008.
13. Την από 19-12-2019 εισήγηση της Διεύθυνσης Περιβάλλοντος και Χωρικού Σχεδιασμού Περιφέρειας Ηπείρου προς το Συμβούλιο Πολεοδομικών Θεμάτων και Αμφισβητήσεων Περιφερειακής Ενότητας Ιωαννίνων.
14. Το Πρακτικό της 12ης Συνεδρίασης/23-12-2019 του Συμβουλίου Πολεοδομικών Θεμάτων και Αμφισβητήσεων Περιφερειακής Ενότητας Ιωαννίνων (θέμα 3ο ΗΔ).
15. Το γεγονός ότι η ως άνω τροποποίηση έχει σημειακό - εντοπισμένο χαρακτήρα, δεν μειώνει τους κοινόχρηστους και κοινωφελείς χώρους και δεν εμπίπτει σε ζώνη πεντακοσίων μέτρων από την ακτή, σε παραδοσιακό οικισμό, σε τοπίο ιδιαιτέρου φυσικού κάλλους, σε αρχαιολογικό χώρο, σε δάση και δασικές εκτάσεις και σε περιοχές προστατευόμενες βάσει διεθνών συνθηκών ή βάσει των άρθρων 18 και 19 του νόμου 1650/1986 (ΦΕΚ 160/Α/1986), όπως ισχύει.
16. Το γεγονός ότι με τις κανονιστικές διατάξεις της απόφασης αυτής δεν προκαλείται δαπάνη σε βάρος του Δημοσίου ή του οικείου οργανισμού τοπικής αυτοδιοίκησης, αποφασίζουμε:
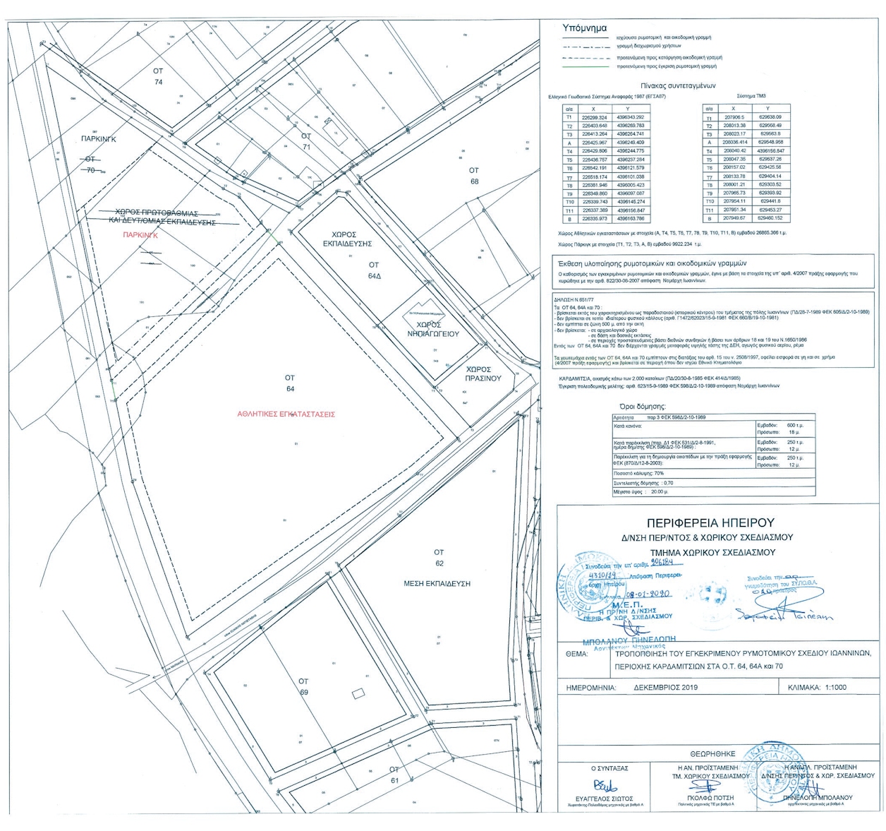
1. Την τροποποίηση του εγκεκριμένου ρυμοτομικού σχεδίου Ιωαννίνων, περιοχής Καρδαμιτσίων στα οικοδομικά τετράγωνα 64, 64Α και 70 με την αναδιάταξη των κοινόχρηστων και κοινωφελών χώρων και συγκεκριμένα.
α. Την ενοποίηση των οικοδομικών τετραγώνων 64, 64Α και 70.
β. Τον αποχαρακτηρισμό του χώρου πρωτοβάθμιας και δευτεροβάθμιας εκπαίδευσης και τον χαρακτηρισμό ως Αθλητικές Εγκαταστάσεις και Πάρκινγκ.
γ. Την κατάργηση του προκηπίου στα οικοδομικά τετράγωνα 64 και 64 Α.
όπως φαίνονται στο θεωρημένο αρμοδίως συνημμένο σχέδιο κλίμακας 1:1000.
2. Τον καθορισμό των κάτωθι όρων δόμησης του χώρου αθλητικών εγκαταστάσεων με στοιχεία (A, T4, Τ5, Τ6, Τ7, Τ8, Τ9, T10, T11 και Β).
α. Συντελεστής δόμησης: 0.7.
β. Κάλυψη: 70%.
γ. Μέγιστο επιτρεπόμενο ύψος κτιρίου: 20 m.
Η ισχύς της παρούσας απόφασης αρχίζει από την ημερομηνία δημοσίευσής της στην Εφημερίδα της Κυβερνήσεως.
Επιτρέπεται η υποβολή προσφυγής κατά της απόφασης αυτής, στον Γενικό Γραμματέα της Αποκεντρωμένης Διοίκησης Ηπείρου και Δυτικής Μακεδονίας, μόνο για παράβαση του Νόμου, σύμφωνα με τις διατάξεις του άρθρου 227 του νόμου 3852/2010 (ΦΕΚ 87/Α/2010) και σε προθεσμία 15 ημερών, από τη δημοσίευσή της στην Εφημερίδα της Κυβερνήσεως.

Η απόφαση αυτή με το θεωρημένο διάγραμμα να δημοσιευθούν στην Εφημερίδα της Κυβερνήσεως.
Ιωάννινα, 08-01-2020
Ο Περιφερειάρχης