| Συνδεθείτε στην Υπηρεσία Νομοσκόπιο | | | | | Νέοι χρήστες | | Εάν είστε νέος χρήστης, θα πρέπει να δημιουργήσετε ένα ΔΩΡΕΑΝ λογαριασμό προκειμένου να φύγει το παράθυρο αυτό και να αποκτήσετε πλήρη πρόσβαση στην υπηρεσία Νομοσκόπιο. | | Δημιουργία νέου λογαριασμού | | |
Απόφαση 65610/2015: Καθορισμός ορίων χερσαίας και θαλάσσιας ζώνης Λιμένα Νέας Μηχανιώνας Περιφερειακής Ενότητας Θεσσαλονίκης, (ΦΕΚ 198/ΑΑΠ/2015), 17-09-2015.
Ο Γενικός Γραμματέας Αποκεντρωμένης Διοίκησης Μακεδονίας - Θράκης
Έχοντας υπόψη:
1. Τις διατάξεις των άρθρου 14 και 21, 22, 24 και 27 του νόμου 2971/2001 (ΦΕΚ 285/Α/2001).
2. Τις διατάξεις του νόμου 2503/1997 Διοίκηση, οργάνωση, στελέχωση της Περιφέρειας, ρύθμιση θεμάτων για την τοπική αυτοδιοίκηση και άλλες διατάξεις (ΦΕΚ 107/Α/1997).
3. Τις διατάξεις των άρθρων 6 παράγραφος 2 και 280 και 100 του νόμου 3852/2010 (ΦΕΚ 87/Α/2010) Νέα Αρχιτεκτονική της Αυτοδιοίκησης και της Αποκεντρωμένης Διοίκησης - Πρόγραμμα Καλλικράτης.
4. Τις διατάξεις του προεδρικού διατάγματος 142/2010 (ΦΕΚ 235/Α/2010) Οργανισμός Αποκεντρωμένης Διοίκησης Μακεδονίας Θράκης.
5. Τις διατάξεις των άρθρων 4 και 6 του από [ΒΔ] 14-01-1939 βασιλικού διατάγματος (ΦΕΚ 24/Α/1939), περί κωδικοποιήσεως των περί Λιμενικών Ταμείων κείμενων διατάξεων.
6. Τις διατάξεις της παραγράφου 1 του άρθρου 201 του νόμου 3852/2010, περί κατάργησης του Νομαρχιακού Λιμενικού Ταμείου Θεσσαλονίκης και μεταφοράς αρμοδιοτήτων σε Λιμενικά Γραφεία των αντίστοιχων Δήμων, τα οποία λειτουργούν σύμφωνα με τις διατάξεις του άρθρου 28 του νόμου 2738/1999.
7. Το άρθρο 28 του νόμου 2738/1999 περί Δημοτικών και Νομαρχιακών Ταμείων και Γραφείων, σύμφωνα με το οποίο η Οικονομική Επιτροπή του Δήμου νοείται ως Λιμενική Επιτροπή.
8. Το άρθρο 226 του νόμου [Ν] 4072/2012, για παράταση προθεσμίας νομιμοποίησης έργων που αναφέρονται στην παράγραφο 1 του άρθρου 14 του νόμου 2971/2001.
9. Το άρθρο 49 του νόμου 4150/2013, για τη διαδικασία καθορισμού χερσαίας και θαλάσσιας ζώνης λιμένα σε περίπτωση ύπαρξης έργων παράγραφος 1 του άρθρου 14 του νόμου 2971/2001 που έχουν κατασκευασθεί χωρίς άδεια ή με υπέρβαση αυτής.
10. Την υπ' αριθμόν 8210/2012 εγκύκλιο του Υπουργείου Ανάπτυξης Ανταγωνιστικότητας και Ναυτιλίας, με την οποία δίνονται οδηγίες προς τους νέους φορείς διοίκησης και εκμετάλλευσης λιμένων (Δημοτικά Λιμενικά Ταμεία).
11. Τις διατάξεις του άρθρου 16 του νόμου 4178/2013.
12. Την υπ' αριθμόν πρωτοκόλλου οίκοθεν 99386/2014 (ΦΕΚ 3105/Β/2014) απόφαση του Γενικού Γραμματέα Αποκεντρωμένης Διοίκησης Μακεδονίας Θράκης ... και παροχή εξουσιοδότησης υπογραφής και εγγράφων Με εντολή Γενικού Γραμματέα στους προϊσταμένους κ.λ.π., όπως τροποποιήθηκε και συμπληρώθηκε με την υπ' αριθμόν 109949/2014 (ΦΕΚ 3320/Β/2014) απόφαση του Γενικού Γραμματέα Αποκεντρωμένης Διοίκησης Μακεδονίας Θράκης.
13. Το υπ' αριθμόν 20466/2015 έγγραφο του Δήμου Θερμαϊκού, με το οποίο διαβιβάζει το φάκελο.
14. Τις αποφάσεις 222/2001, 389/2013 και την 329/2015 της Οικονομικής Επιτροπής του Δήμου Θερμαϊκού, με τις οποίες οριοθετείται η ζώνη Λιμένα Νέας Μηχανιώνας.
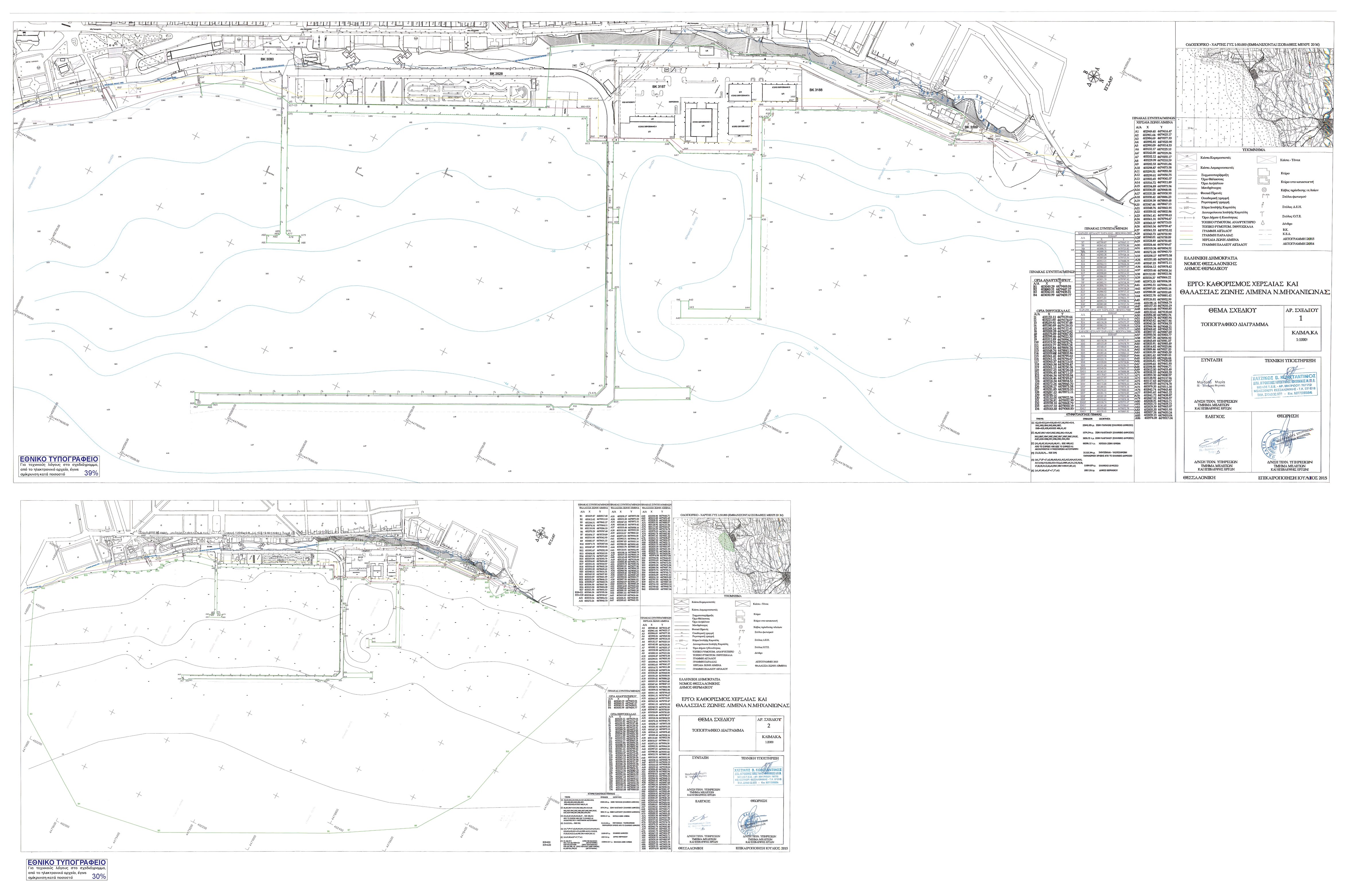
15. Διάγραμμα με αριθμό 1 καθορισμού χερσαίας ζώνης λιμένα και με αριθμό 2 καθορισμού θαλάσσιας ζώνης λιμένα.
16. Δήλωση ένταξης στο νόμο 4178/2013, α/α 3017269.
17. Την υπ' αριθμόν 1933/32204/2015 θετική γνωμοδότηση του Υπουργού Παραγωγικής Ανασυγκρότησης Περιβάλλοντος και Ενέργειας.
18. Την υπ' αριθμόν Φ544.5/16/9/182033/2015 θετική γνωμοδότηση του Γενικού Επιτελείου Ναυτικού.
19. Την υπ' αριθμόν Δ4/360/Φ19/Μ/2015 θετική γνωμοδότηση του Υπουργείου Οικονομίας, Υποδομών Ναυτιλίας και Τουρισμού.
20. Την υπ' αριθμόν 3113.17-63/01/2015/2015 θετική γνωμοδότηση της Γενικής Γραμματείας Λιμένων και Λιμενικής Πολιτικής και Ναυτικών Επενδύσεων του Υπουργείου Οικονομίας, Υποδομών, Ναυτιλίας και Τουρισμού.
21. Την υπ' αριθμόν ΥΠΟΠΑΙΘ/ΓΔΑΠΚ/ΔΙΠΚΑ/ΤΠΚΑΧΜΑΕ/Φ53/97724/57809/4732/1352/2015 θετική γνωμοδότηση της Διεύθυνσης Προϊστορικών και Κλασσικών Αρχαιοτήτων του Υπουργείου Παιδείας Πολιτισμού και Θρησκευμάτων.
22. Το υπ' αριθμόν 5472/2015 έγγραφο του Δήμου Θερμαϊκού προς το Υπουργείο Οικονομικών, περί επικαιροποίησης και τροποποίησης του διαγράμματος καθορισμού της χερσαίας ζώνης σύμφωνα με τις υποδείξεις της Κτηματικής Υπηρεσίας Θεσσαλονίκης.
23. Το υπ' αριθμόν 45170/2011 έγγραφο της Διεύθυνσης Διοίκησης της Αποκεντρωμένης Διοίκησης Μακεδονίας - Θράκης.
24. Την υπ' αριθμόν 1034261/2126/Β0010/2008 απόφαση του Υπουργού Οικονομίας και Οικονομικών Νομιμοποίηση υφισταμένων έργων στη ζώνη του αιγιαλού παραλίας και του παρακείμενου θαλάσσιου χώρου στο Λιμένα Νέας Μηχανιώνας νομού Θεσσαλονίκης.
25. Την υπ' αριθμόν ΔΠ/ΠΜ/62145/1901/1992 απόφαση Νομάρχη Θεσσαλονίκης για την έγκριση του τοπικού ρυμοτομικού για τον καθορισμό χώρου δημιουργίας της Ιχθυόσκαλας.
26. Την υπ' αριθμόν ΔΠ/ΠΜ/62145/1901/1993 (ΦΕΚ 78/Δ/1993) απόφαση Νομάρχη Θεσσαλονίκης, με την οποία εγκρίνεται το τοπικό ρυμοτομικό σχέδιο στη περιοχή Νέας Μηχανιώνας για τον καθορισμό χώρου δημιουργίας ιχθυόσκαλας.
27. Την υπ' αριθμόν 73/2012 απόφαση της Οικονομικής Επιτροπής του Δήμου Θερμαϊκού, με την οποία εγκρίνεται η τροποποίηση του τοπικού ρυμοτομικού σχεδίου της Ιχθυόσκαλας Θεσσαλονίκης του Λιμένα Νέας Μηχανιώνας, σύμφωνα με τη μελέτη της Περιφέρειας Κεντρικής Μακεδονίας.
28. Την υπ' αριθμόν 99/2012 άδεια οικοδομής ιχθυόσκαλας Νέας Μηχανιώνας.
29. Το υπ' αριθμόν 313744/Α.Β.Κ. 2628 παραχωρητήριο της Κτηματικής Εταιρίας του Δημοσίου.
30. Την υπ' αριθμόν 1119/1989 απόφαση Νομάρχη παραχώρησης απλής χρήσης αιγιαλού και παραλίας για τη δημιουργία ιχθυόσκαλας Νέας Μηχανιώνας Θεσσαλονίκης.
31. Το υπ' αριθμόν 17060/2015 έγγραφο του Δήμου Θερμαϊκού.
32. Το υπ' αριθμόν 11742/2015 έγγραφο του Δήμου Θερμαϊκού.
33. Το γεγονός ότι, έχει παρέλθει άπρακτη η προβλεπόμενη από το άρθρο 21 παράγραφος 1 του νόμου 2971/2001 προθεσμία των 3 μηνών, εντός της οποίας οι λοιπές συναρμόδιες Υπηρεσίες έπρεπε να γνωμοδοτήσουν, δεν περιλαμβάνεται η γνωμοδότηση της Περιφερειακής Διεύθυνσης Δημόσιας Περιουσίας Μακεδονίας Θράκης του Υπουργείου Οικονομικών, αποφασίζουμε:
Εγκρίνουμε τον καθορισμό των ορίων της Ζώνης Λιμένα Νέας Μηχανιώνας όπως φαίνεται στα συνημμένα και αναπόσπαστα θεωρημένα από τη Διεύθυνση Τεχνικών Υπηρεσιών του Δήμου Θερμαϊκού τοπογραφικά διαγράμματα 1 και 2 αναλυτικά ως εξής:
| • | Η χερσαία ζώνη ορίζεται από τις κορυφές Α1, Α2, Α3, Α4, ..., Α86, Α1, οι οποίες προσδιορίζονται με συντεταγμένες του κρατικού δικτύου ΕΓΣΑ 1987, επί του διαγράμματος 1 ... (σύνταξη Ιούλιος 2015) όπως αποτυπώνεται με πράσινη γραμμή, κλίμακας 1: 1000 και έκτασης 66.596,12 m2. |
| • | Η θαλάσσια ζώνη ορίζεται σε απόσταση 500 m από τα όρια της χερσαίας ζώνης, επί των κορυφών Β1, Β2, ..., Β28, Α30, Α31, ..., Α86, Α1, Β29, Β30, ..., Β42, Β1, οι οποίες προσδιορίζονται με συντεταγμένες του κρατικού δικτύου ΕΓΣΑ 1987, επί του διαγράμματος 2 (σύνταξη Ιούλιος 2015) όπως αποτυπώνεται με πράσινη γραμμή, κλίμακας 1: 2000 και έκτασης 1.336.416,26 m2. |
Η ισχύς της απόφαση αυτής αρχίζει από τη δημοσίευσή της στην Εφημερίδα της Κυβερνήσεως.

Η απόφαση αυτή να δημοσιευθεί στην Εφημερίδα της Κυβερνήσεως.
Θεσσαλονίκη, 04-09-2015
Με εντολή Γενικού Γραμματέα Αποκεντρωμένης Διοίκησης
Ο προϊστάμενος της Διεύθυνσης Οικονομικού